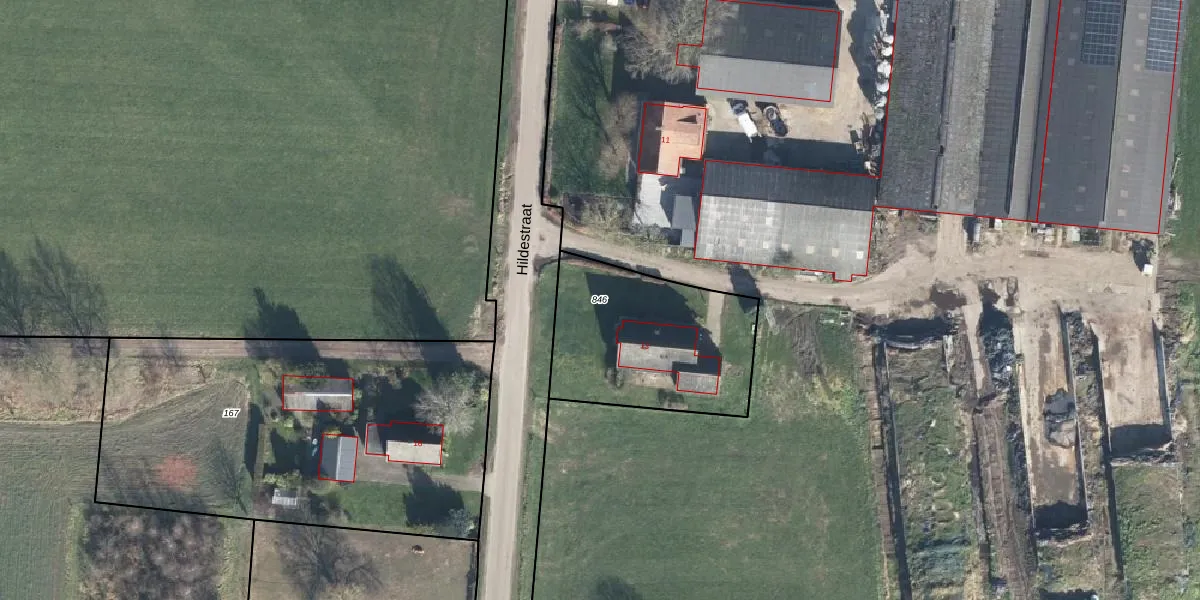
Perceel: VOO00-Q-846
KadastraleKaart.com kan meer dan je denktOntdek meer ›
Filter op bestemming 50+ datasets Eigendomsdata in één klik Percelen CRM
735 m2 - 112 m
Eigenaar opvragen
VOO00-Q-846 (Voorst)
- 7384 DJ
DNdKWuiifko1 wnWX QNUpgrade naar KadastraleKaart Pro
Bekijk op Street View
Download DWG/DXF/Excel
6jDTmCpPgUpgrade naar KadastraleKaart Pro
W tQs4i 4F TrIjU Upgrade naar KadastraleKaart Pro
fd0b luBqHbxh0mTUpgrade naar KadastraleKaart Pro
2maDK 8oW8SgB MMMavUpgrade naar KadastraleKaart Pro
L3upyIpv aVmpf RoYJ Upgrade naar KadastraleKaart Pro
JRKjV66z7WOc zGR xXPjUpgrade naar KadastraleKaart Pro
9gWiIB9yZlhW5i8e 7AGtmUpgrade naar KadastraleKaart Pro
spGHYEfEcKGQGd14Kar 9jUpgrade naar KadastraleKaart Pro
nV f1TQhAWTUpgrade naar KadastraleKaart Pro
gflz97E0ZvcV4zXsjg6HHUpgrade naar KadastraleKaart Pro
21/06/2007

Percelen
Gebruik de zoekbalk of klik op een perceel om informatie over het perceel te bekijken.