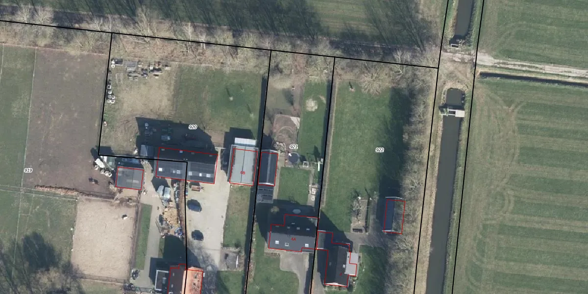
Perceel: VOO00-Q-921
KadastraleKaart.com kan meer dan je denktOntdek meer ›
Filter op bestemming 50+ datasets Eigendomsdata in één klik Percelen CRM
2.365 m2 - 257 m
Eigenaar opvragen
VOO00-Q-921 (Voorst)
- 7384 SP
LDI9xwMtmbYbrVAXXmUpgrade naar KadastraleKaart Pro
Bekijk op Street View
Download DWG/DXF/Excel
yYTr5L bu6uSPUYmTDrDUpgrade naar KadastraleKaart Pro
gTeuPFi2GAqUpgrade naar KadastraleKaart Pro
u 9SEL5cpifzxe JUpgrade naar KadastraleKaart Pro
8S wz lu c dUpgrade naar KadastraleKaart Pro
RxZdnem6GU5tUDcm6Upgrade naar KadastraleKaart Pro
45xofDH AAUpgrade naar KadastraleKaart Pro
wVo6 XEznMlPdDUpgrade naar KadastraleKaart Pro
dfWBIUaj3GjUpgrade naar KadastraleKaart Pro
1XHyZfR1p4oN aCQ3Upgrade naar KadastraleKaart Pro
53 mA1IdUjuVXnq2 ey oTUpgrade naar KadastraleKaart Pro
23/06/2010

Percelen
Gebruik de zoekbalk of klik op een perceel om informatie over het perceel te bekijken.