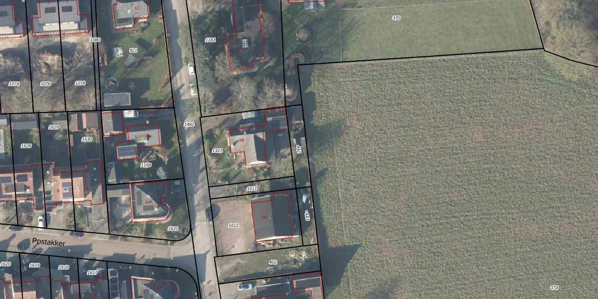
Perceel: VOO00-S-442
Geen adressen bij dit perceel
144 m2 - 66 m
Eigenaar opvragen
VOO00-S-442 (Voorst)
- Geen postcode aanwezig
16lpyURLNiNM RD kfhRiVG5HIx5Upgrade naar KadastraleKaart Pro
Bekijk op Street View
Download DWG/DXF/Excel
C LZe2C5 e d d5P336q3VcUpgrade naar KadastraleKaart Pro
Ob4Wb 5ea413ftipHUpgrade naar KadastraleKaart Pro
RLjEcCI4liNXUpgrade naar KadastraleKaart Pro
2SC 0 owyRybt15XzfPzqMEUpgrade naar KadastraleKaart Pro
OQH4c aMRnLItV9diD0DuUpgrade naar KadastraleKaart Pro
w zjoxz0YxTF OJV RCbK6Upgrade naar KadastraleKaart Pro
vM7kg3 ppDJXmq5 x4Upgrade naar KadastraleKaart Pro
T f4AmUUR QzTfUfwKjUpgrade naar KadastraleKaart Pro
iYtje9b X1rTcOHDsYUpgrade naar KadastraleKaart Pro
CMynKQ GRUpgrade naar KadastraleKaart Pro
28/02/2002

Percelen
Gebruik de zoekbalk of klik op een perceel om informatie over het perceel te bekijken.