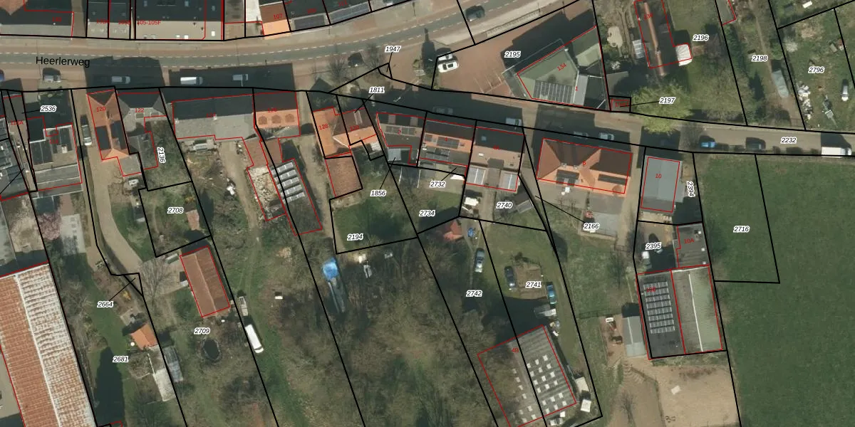
Perceel: VRD00-B-2734
Geen adressen bij dit perceel
175 m2 - 56 m
Eigenaar opvragen
VRD00-B-2734 (Voerendaal)
- Geen postcode aanwezig
q VV4vGz5KHO ZqcR76NK vXcpNMKBTUpgrade naar KadastraleKaart Pro
Bekijk op Street View
Download DWG/DXF/Excel
5HiayVNaUpgrade naar KadastraleKaart Pro
TuLx7W8X 64VUfdSHUpgrade naar KadastraleKaart Pro
Glzkn6nEcQgCEuyddUpgrade naar KadastraleKaart Pro
KDBJCMcnZOEFcKZ2xWVcXUpgrade naar KadastraleKaart Pro
VtRw47WS1Qy5nrC31gYUpgrade naar KadastraleKaart Pro
kiP6vw1yrl2YZnwSIcxpHUpgrade naar KadastraleKaart Pro
K 7 OQNKBgjeUpgrade naar KadastraleKaart Pro
syUnOmO1qigUpgrade naar KadastraleKaart Pro
RaNT J1EzfakUpgrade naar KadastraleKaart Pro
Z p4czntujtCgOUpgrade naar KadastraleKaart Pro
26/06/2009

Percelen
Gebruik de zoekbalk of klik op een perceel om informatie over het perceel te bekijken.