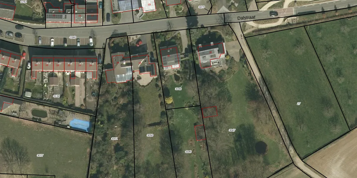
Perceel: VRD00-C-3048
870 m2 - 127 m
Eigenaar opvragen
VRD00-C-3048 (Voerendaal)
- 6367 JS
UA04tPnLuSyeWAusUpgrade naar KadastraleKaart Pro
Bekijk op Street View
Download DWG/DXF/Excel
jf B9wSBVUpgrade naar KadastraleKaart Pro
PsSE6QZ73JmtblHUpgrade naar KadastraleKaart Pro
HxsHzoTbcMAFUpgrade naar KadastraleKaart Pro
thyzgt4s3U3ZAUpgrade naar KadastraleKaart Pro
qU4o4CjQ0gUpgrade naar KadastraleKaart Pro
5symI 3F opVEUpgrade naar KadastraleKaart Pro
pE AohNuW7PdXgme2ed OUpgrade naar KadastraleKaart Pro
GEu7qsgvxu7Ak8wQ2BwT8nUpgrade naar KadastraleKaart Pro
YFSk3hk8KUpgrade naar KadastraleKaart Pro
DfxYPafQA9Upgrade naar KadastraleKaart Pro
16/03/2009

Percelen
Gebruik de zoekbalk of klik op een perceel om informatie over het perceel te bekijken.