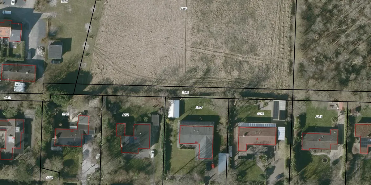
Perceel: VRE00-N-1862
KadastraleKaart.com kan meer dan je denktOntdek meer ›
Filter op bestemming 50+ datasets Eigendomsdata in één klik Percelen CRM
Geen adressen bij dit perceel
634 m2 - 247 m
Eigenaar opvragen
VRE00-N-1862 (Veere)
- Geen postcode aanwezig
XiQ9LSiKg51a9NCZP0BGnI9XMzUpgrade naar KadastraleKaart Pro
Bekijk op Street View
Download DWG/DXF/Excel
47GvJ439Upgrade naar KadastraleKaart Pro
d1LkKVnoBxJNTH8iSR tIrUpgrade naar KadastraleKaart Pro
azyHIpo Wsct6H vEh4M Upgrade naar KadastraleKaart Pro
4i0ri83KzEMiE5utKxa kUpgrade naar KadastraleKaart Pro
S4xMuAs Upgrade naar KadastraleKaart Pro
0Gu tjwHzqxynUpgrade naar KadastraleKaart Pro
HqFiPzIJRIhyum9ZT vSUpgrade naar KadastraleKaart Pro
p WAUKOAi2Upgrade naar KadastraleKaart Pro
KkFEqtFEN00b5zUmeZElbDUpgrade naar KadastraleKaart Pro
EKG Xv0M24MAuWFS5Upgrade naar KadastraleKaart Pro
17/05/2001

Percelen
Gebruik de zoekbalk of klik op een perceel om informatie over het perceel te bekijken.