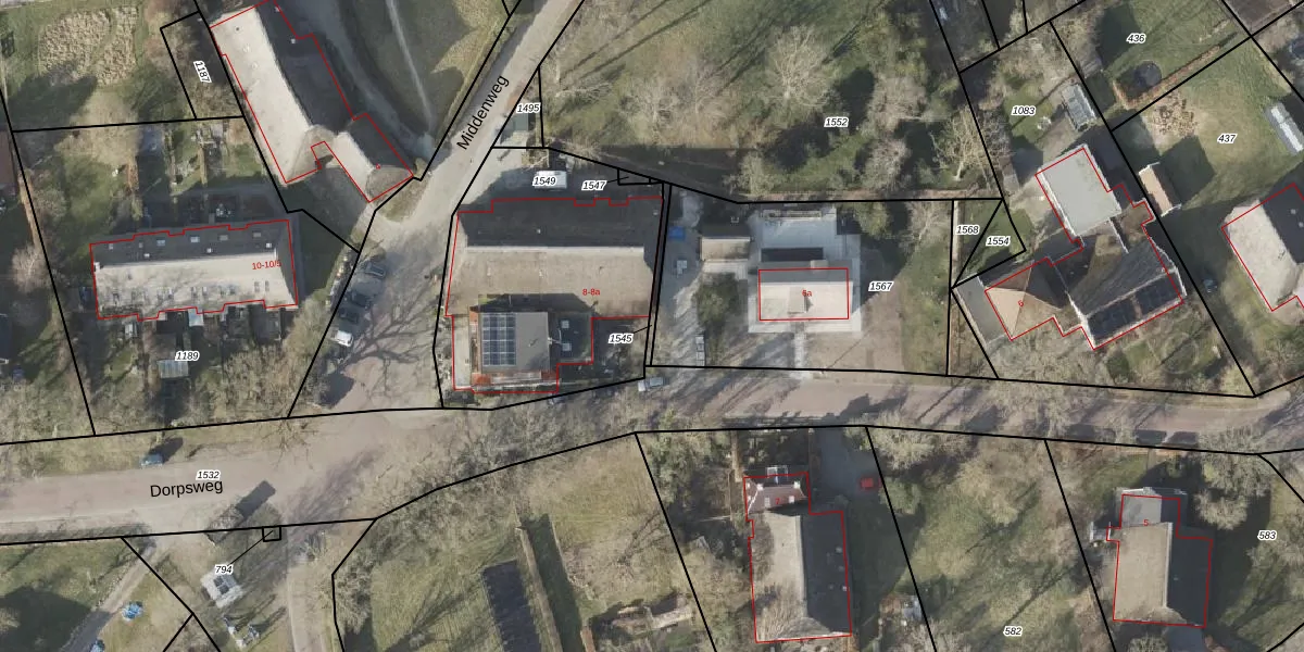
Perceel: VRI00-S-1545
KadastraleKaart.com kan meer dan je denktOntdek meer ›
Filter op bestemming 50+ datasets Eigendomsdata in één klik Percelen CRM
Geen adressen bij dit perceel
29 m2 - 64 m
Eigenaar opvragen
VRI00-S-1545 (Vries)
- Geen postcode aanwezig
UMdKkFrz4s XVlI9x YGHYB7 QyA6Upgrade naar KadastraleKaart Pro
Bekijk op Street View
Download DWG/DXF/Excel
bvJGBHVgUpgrade naar KadastraleKaart Pro
2BRakLt0LzAKUpgrade naar KadastraleKaart Pro
wkkDtE HOkQ39SiTUpgrade naar KadastraleKaart Pro
Va LK5W8 J5 CUpgrade naar KadastraleKaart Pro
vGH VOxk CeesFatSQUpgrade naar KadastraleKaart Pro
c29AKX2 SxUpgrade naar KadastraleKaart Pro
fGRjh BgzYDngqGWolJUpgrade naar KadastraleKaart Pro
m0 L0y9hL875HmtN6sUJ 5 Upgrade naar KadastraleKaart Pro
g0ZXNPDEVw6RJIWpUpgrade naar KadastraleKaart Pro
g LaCGQbUpgrade naar KadastraleKaart Pro
27/02/2023

Percelen
Gebruik de zoekbalk of klik op een perceel om informatie over het perceel te bekijken.