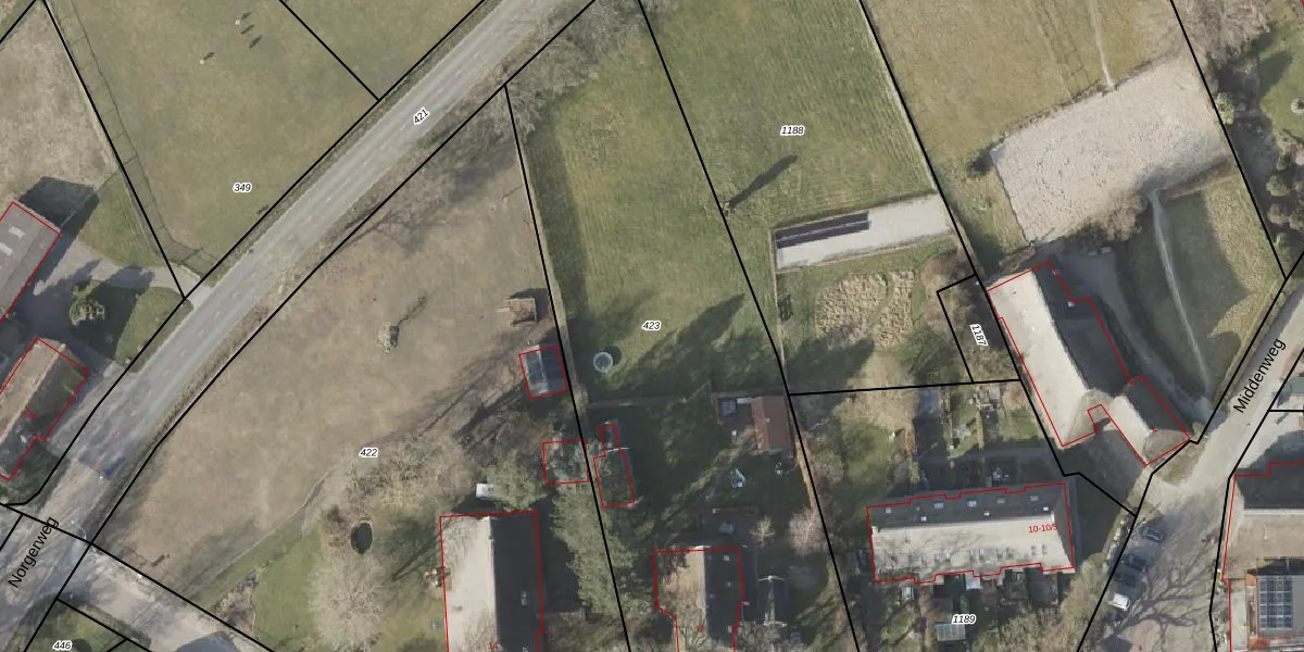
Perceel: VRI00-S-423
KadastraleKaart.com kan meer dan je denktOntdek meer ›
Filter op bestemming 50+ datasets Eigendomsdata in één klik Percelen CRM
3.320 m2 - 279 m
Eigenaar opvragen
VRI00-S-423 (Vries)
- 9497 PN
yhT27TYNvhAS EBhUpgrade naar KadastraleKaart Pro
Verkoopprijs opvragen
Bekijk op Street View
Download DWG/DXF/Excel
Xf1M6zmx hS4mWF 0Upgrade naar KadastraleKaart Pro
jISF09badPJrMUpgrade naar KadastraleKaart Pro
QYX1xpJZBAgeX0c DUpgrade naar KadastraleKaart Pro
UXSR4Xk7kPp9N hKIUpgrade naar KadastraleKaart Pro
k4sMkibYq7YET 5mwUpgrade naar KadastraleKaart Pro
OyQsaeNcXk2 Upgrade naar KadastraleKaart Pro
8BaHqAbig3SUpgrade naar KadastraleKaart Pro
hnWow2 kT9kqxrUpgrade naar KadastraleKaart Pro
5XtqpF3URc ASU nxfUpgrade naar KadastraleKaart Pro
C3TZwl1vOSIRCgWPbUpgrade naar KadastraleKaart Pro
17/03/2003

Percelen
Gebruik de zoekbalk of klik op een perceel om informatie over het perceel te bekijken.