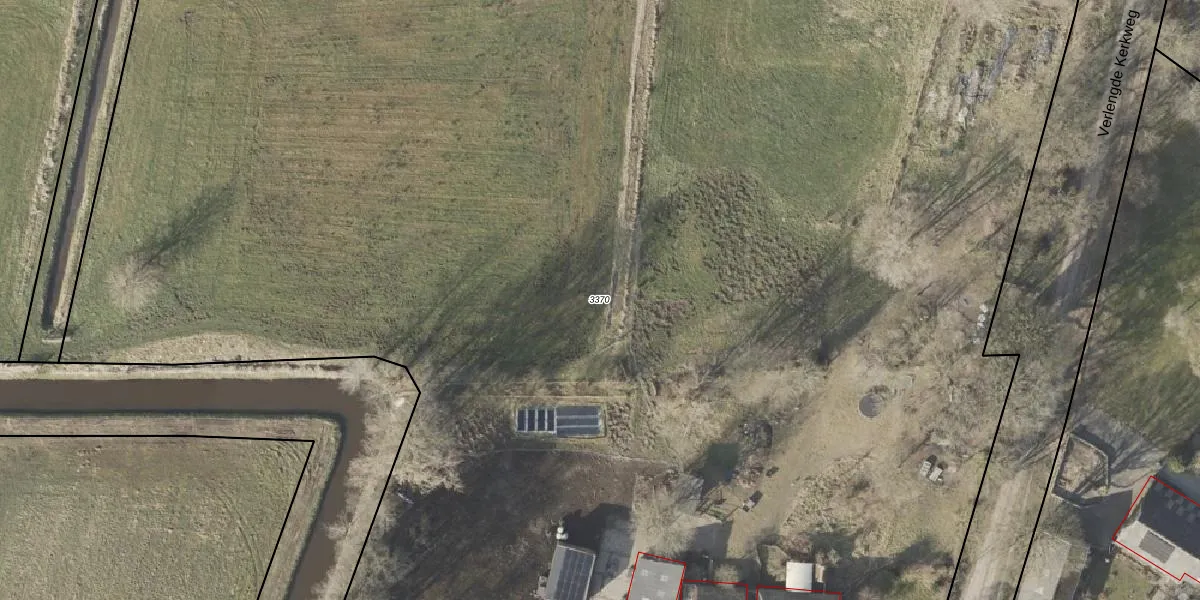
Perceel: VRI00-T-3370
16.810 m2 - 586 m
Eigenaar opvragen
VRI00-T-3370 (Vries)
- 9481 TG
2jW56DUqOtHTtbZhCehR4 2Upgrade naar KadastraleKaart Pro
Verkoopprijs opvragen
Bekijk op Street View
Download DWG/DXF/Excel
AeUXPITaa70gebuRUpgrade naar KadastraleKaart Pro
o5 aE R4Upgrade naar KadastraleKaart Pro
khadizjIgvP GGf0JUpgrade naar KadastraleKaart Pro
FJhmVJX8CyLHb eIeb7Upgrade naar KadastraleKaart Pro
nzOCRWxjbe0 4WUpgrade naar KadastraleKaart Pro
DhJ U1IX0M Upgrade naar KadastraleKaart Pro
8T3yudh8lMUpgrade naar KadastraleKaart Pro
oCykgyu T2jUpgrade naar KadastraleKaart Pro
JI03ZY t3M60r6OUpgrade naar KadastraleKaart Pro
AJ5 clOGU 5TUpgrade naar KadastraleKaart Pro
02/11/2020

Percelen
Gebruik de zoekbalk of klik op een perceel om informatie over het perceel te bekijken.