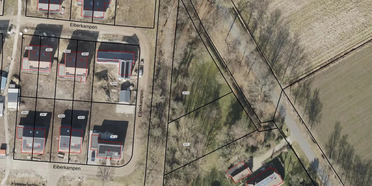
Perceel: VRI00-T-3916
KadastraleKaart.com kan meer dan je denktOntdek meer ›
Filter op bestemming 50+ datasets Eigendomsdata in één klik Percelen CRM
Geen adressen bij dit perceel
1.110 m2 - 167 m
Eigenaar opvragen
VRI00-T-3916 (Vries)
- Geen postcode aanwezig
8 umxQSgAukRt ERlUpgrade naar KadastraleKaart Pro
Bekijk op Street View
Download DWG/DXF/Excel
Cl0gd1Ddc iWUpgrade naar KadastraleKaart Pro
myWwpLi SUpgrade naar KadastraleKaart Pro
oF cP2KbSV u3W8Upgrade naar KadastraleKaart Pro
jU6ROyiIQBSTL9Upgrade naar KadastraleKaart Pro
VJJ TzUC4b mMUSEUpgrade naar KadastraleKaart Pro
sJomvDV JUpgrade naar KadastraleKaart Pro
RFQ6n0hcty OjtoHVcyiKYUpgrade naar KadastraleKaart Pro
fT8YjFB84 qhiF7g KTUpgrade naar KadastraleKaart Pro
r H1mlZVmbYMvWB3NYB67tCUpgrade naar KadastraleKaart Pro
2AshqhYD eTZyYB6OG0g0tUpgrade naar KadastraleKaart Pro
01/05/2024

Percelen
Gebruik de zoekbalk of klik op een perceel om informatie over het perceel te bekijken.