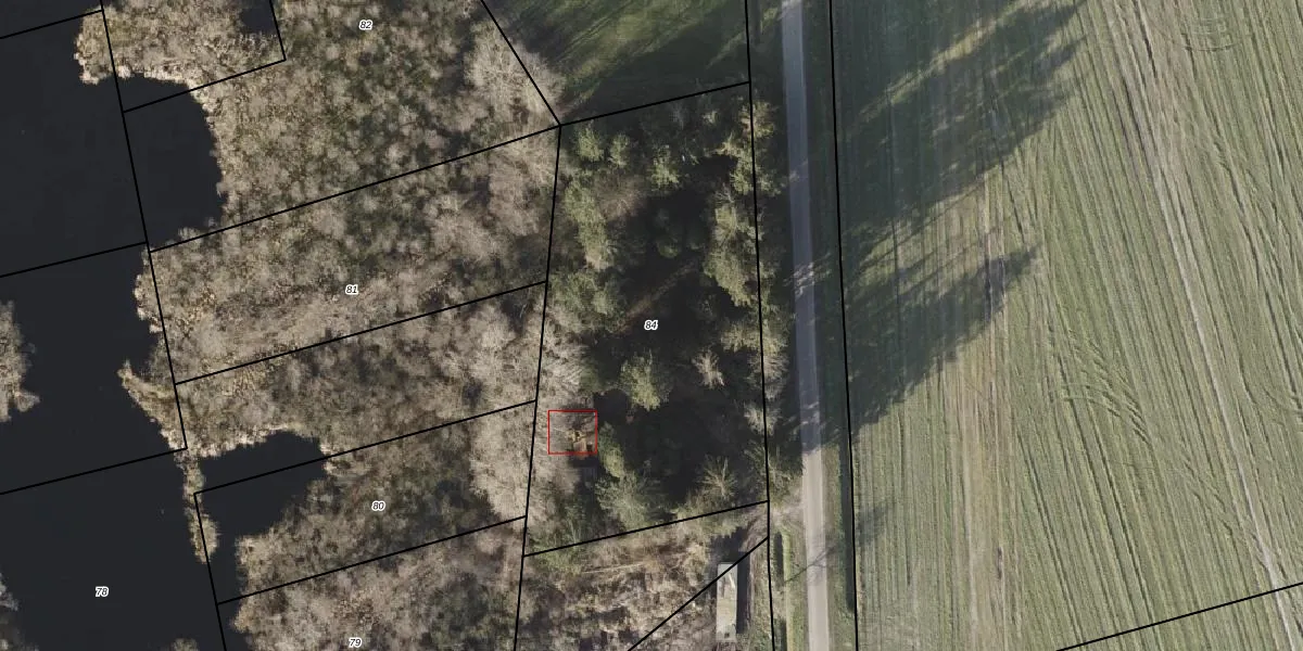
Perceel: VRI00-T-84
KadastraleKaart.com kan meer dan je denktOntdek meer ›
Filter op bestemming 50+ datasets Eigendomsdata in één klik Percelen CRM
Geen adressen bij dit perceel
2.170 m2 - 199 m
Eigenaar opvragen
VRI00-T-84 (Vries)
- Geen postcode aanwezig
PGNnhbX0 VQ wijBUKt8Z3SvUpgrade naar KadastraleKaart Pro
Bekijk op Street View
Download DWG/DXF/Excel
vTlkXVkRILCgxhPOUpgrade naar KadastraleKaart Pro
3f mt2fMmaZUpgrade naar KadastraleKaart Pro
3nxbLi ZcJeUpgrade naar KadastraleKaart Pro
kD5Z uiWp2IEx ZtAWfoFUpgrade naar KadastraleKaart Pro
JmaVimPg5UUpgrade naar KadastraleKaart Pro
KN2VC QiLyCkei3eUpgrade naar KadastraleKaart Pro
oL eRHdJUpgrade naar KadastraleKaart Pro
e9NC A1x2gEM SKUhUpgrade naar KadastraleKaart Pro
fb4Mt0n BAZlPKr5g ep7WPUpgrade naar KadastraleKaart Pro
uSQa4Z9TF4dKuHp6rZk5Upgrade naar KadastraleKaart Pro
01/03/2010

Percelen
Gebruik de zoekbalk of klik op een perceel om informatie over het perceel te bekijken.