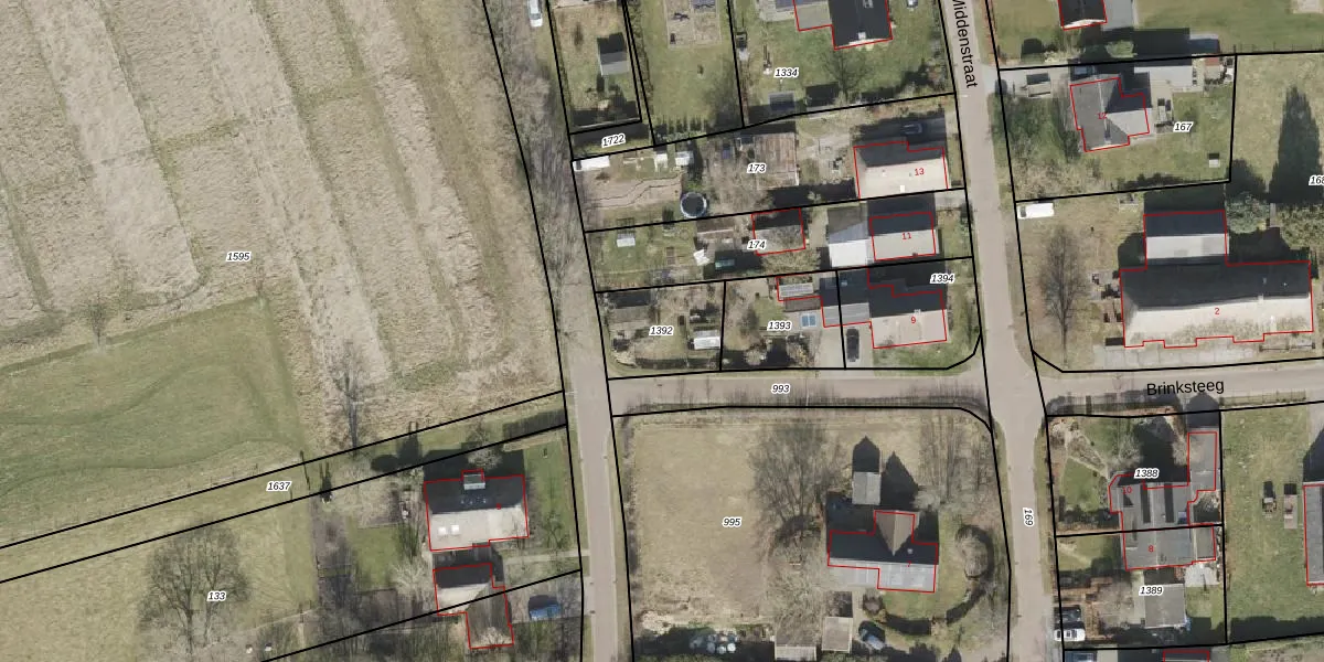
Perceel: VRI00-U-1392
KadastraleKaart.com kan meer dan je denktOntdek meer ›
Filter op bestemming 50+ datasets Eigendomsdata in één klik Percelen CRM
Geen adressen bij dit perceel
249 m2 - 64 m
Eigenaar opvragen
VRI00-U-1392 (Vries)
- Geen postcode aanwezig
jTYrm8vPdGRc4E14 kvI 9PpxEeDulgUpgrade naar KadastraleKaart Pro
Bekijk op Street View
Download DWG/DXF/Excel
N3erDPbfIAgU G XUUwAUpgrade naar KadastraleKaart Pro
4 TAC Su L2 ZV uulU8Upgrade naar KadastraleKaart Pro
iMWmjVX2pF9Upgrade naar KadastraleKaart Pro
QHh0LRgQl1DXUpgrade naar KadastraleKaart Pro
cg1yEwlvvY5KS6Upgrade naar KadastraleKaart Pro
dR5 zbWfUpgrade naar KadastraleKaart Pro
JNWXxGvqtRcogUpgrade naar KadastraleKaart Pro
8jgT6LuTSna vmUKAd9Upgrade naar KadastraleKaart Pro
2nki1QG66kX80WUpgrade naar KadastraleKaart Pro
L3VvVaHvU2TcndUvSLUpgrade naar KadastraleKaart Pro
12/05/2003

Percelen
Gebruik de zoekbalk of klik op een perceel om informatie over het perceel te bekijken.