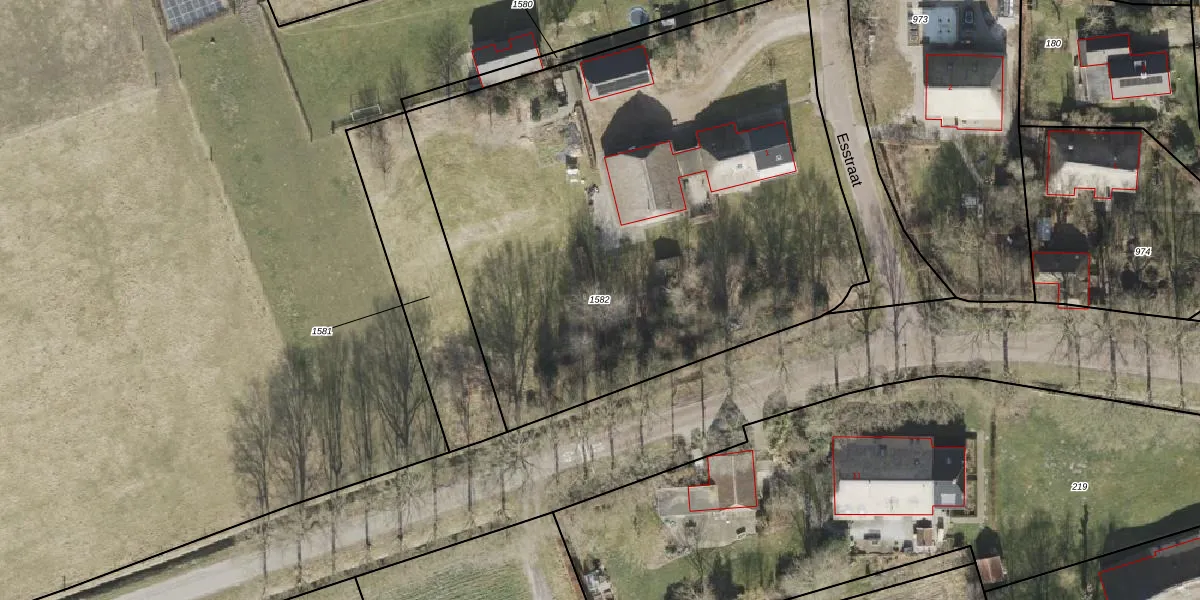
Perceel: VRI00-U-1582
3.550 m2 - 242 m
Eigenaar opvragen
VRI00-U-1582 (Vries)
- 9491 AP
lWQ SCHPz o z5f57ds78Upgrade naar KadastraleKaart Pro
Verkoopprijs opvragen
Bekijk op Street View
Download DWG/DXF/Excel
BnlKQyx o7hpTyMUpgrade naar KadastraleKaart Pro
lW kQV4b4ZjfUpgrade naar KadastraleKaart Pro
UiF xZ85afvufUpgrade naar KadastraleKaart Pro
QW8NSXVXv0J5kRUpgrade naar KadastraleKaart Pro
g FTza30ZB9T Nlu IUpgrade naar KadastraleKaart Pro
8M Aae94qdoJBCy 8SViLPYUpgrade naar KadastraleKaart Pro
jwDtF1xcbZvA4Eb5Upgrade naar KadastraleKaart Pro
D7roxGthLTUpgrade naar KadastraleKaart Pro
ymwGV6LyCUpgrade naar KadastraleKaart Pro
AD EyJ2umasF2gJdbUpgrade naar KadastraleKaart Pro
07/11/2007

Percelen
Gebruik de zoekbalk of klik op een perceel om informatie over het perceel te bekijken.