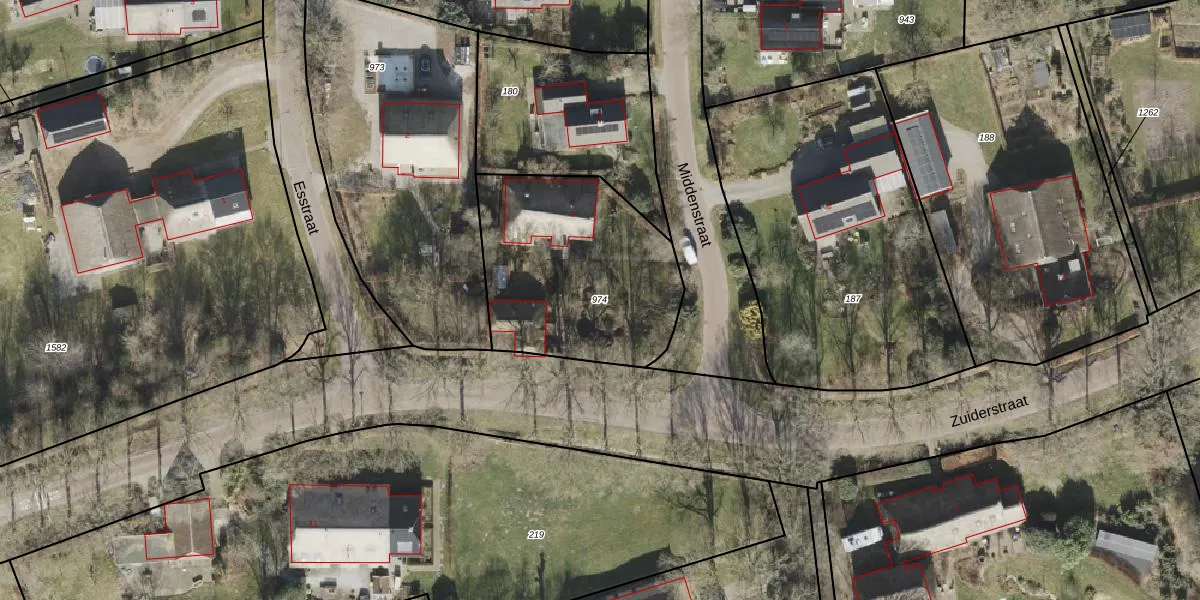
Perceel: VRI00-U-974
KadastraleKaart.com kan meer dan je denktOntdek meer ›
Filter op bestemming 50+ datasets Eigendomsdata in één klik Percelen CRM
910 m2 - 116 m
Eigenaar opvragen
VRI00-U-974 (Vries)
- 9491 AM
UAi7gYzeV7NsPvADvUpgrade naar KadastraleKaart Pro
Verkoopprijs opvragen
Bekijk op Street View
Download DWG/DXF/Excel
h9kdl1sGTqyIY OwMUpgrade naar KadastraleKaart Pro
efXtlzoE Upgrade naar KadastraleKaart Pro
VuW apar37CeNUpgrade naar KadastraleKaart Pro
iep7oRQR0BUpgrade naar KadastraleKaart Pro
3CNVec1NtUpgrade naar KadastraleKaart Pro
xQ XQu Zl7gzybNf kGVvGTUpgrade naar KadastraleKaart Pro
iou6KG2S PXAG Upgrade naar KadastraleKaart Pro
ry32fCBtDx8huGs O9gCcUpgrade naar KadastraleKaart Pro
d38dyCOz dO 41RiCZI Upgrade naar KadastraleKaart Pro
LeCEOP0r3QUpgrade naar KadastraleKaart Pro
12/05/2003

Percelen
Gebruik de zoekbalk of klik op een perceel om informatie over het perceel te bekijken.