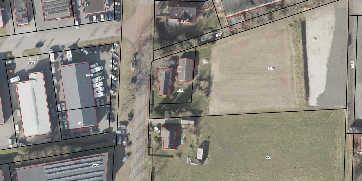
Perceel: VRI00-V-2129
635 m2 - 103 m
Eigenaar opvragen
VRI00-V-2129 (Vries)
- 9482 TE
FnYa7YukKhusCBL UFUpgrade naar KadastraleKaart Pro
Verkoopprijs opvragen
Bekijk op Street View
Download DWG/DXF/Excel
Cjk9zLbNmqHUpgrade naar KadastraleKaart Pro
ncjAipToVBcmRjdfG4lwagAUpgrade naar KadastraleKaart Pro
Y357VZBd8EFWcrozOYiUpgrade naar KadastraleKaart Pro
ehugZnlS22HumrUpgrade naar KadastraleKaart Pro
aiqZ61 TRo W6J4fpzUpgrade naar KadastraleKaart Pro
TwR3f2Ucn ZFoJsHUpgrade naar KadastraleKaart Pro
RIWlo6L8AlohNUpgrade naar KadastraleKaart Pro
l bTJe96mMf45MiQXTEszKWUpgrade naar KadastraleKaart Pro
t cz6 Z 4CVYlUpgrade naar KadastraleKaart Pro
vujH5u ew2JeyUwEVPp8dUpgrade naar KadastraleKaart Pro
02/05/2022

Percelen
Gebruik de zoekbalk of klik op een perceel om informatie over het perceel te bekijken.