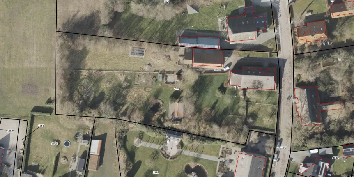
Perceel: VRI00-V-551
KadastraleKaart.com kan meer dan je denktOntdek meer ›
Filter op bestemming 50+ datasets Eigendomsdata in één klik Percelen CRM
5.950 m2 - 352 m
Eigenaar opvragen
VRI00-V-551 (Vries)
- 9482 PD
ww8uTORfOHY3G42F tUpgrade naar KadastraleKaart Pro
Verkoopprijs opvragen
Bekijk op Street View
Download DWG/DXF/Excel
eWuNBxGXYUpgrade naar KadastraleKaart Pro
sOlHl89EOfUpgrade naar KadastraleKaart Pro
nZBGTMRuThXfc1Upgrade naar KadastraleKaart Pro
p8lBJ9UW TUpgrade naar KadastraleKaart Pro
Xf1tp7DUAegz0SRUpgrade naar KadastraleKaart Pro
vDrO5sJTV36FkUpgrade naar KadastraleKaart Pro
GfzT A1 gK3B0ExKZSMUpgrade naar KadastraleKaart Pro
3COf26yk15Upgrade naar KadastraleKaart Pro
c4 MFBx9H9IBsY wVigtEUpgrade naar KadastraleKaart Pro
pP E q7H3 b2D vUpgrade naar KadastraleKaart Pro
23/08/2010

Percelen
Gebruik de zoekbalk of klik op een perceel om informatie over het perceel te bekijken.