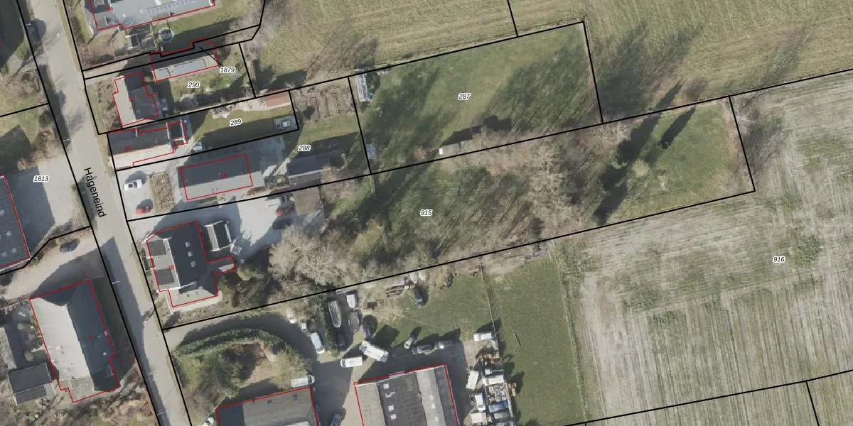
Perceel: VRI00-V-915
3.470 m2 - 337 m
Eigenaar opvragen
VRI00-V-915 (Vries)
- 9482 PE
CvBd3K6QxttvAg2s7b4mawOREPGP7NUpgrade naar KadastraleKaart Pro
Verkoopprijs opvragen
Bekijk op Street View
Download DWG/DXF/Excel
5Y2vrL Q98Upgrade naar KadastraleKaart Pro
bjaCbcwWSGficM0Zwwev hEUpgrade naar KadastraleKaart Pro
ks0gdKrq1zejVEi8l1Upgrade naar KadastraleKaart Pro
g0TCmiQGt6pfxBUs2joUpgrade naar KadastraleKaart Pro
q1YDlBQJubsg4KNBgUpgrade naar KadastraleKaart Pro
Rt2obf9PmtUpgrade naar KadastraleKaart Pro
h tqTEi mJ7Xb KomUpgrade naar KadastraleKaart Pro
vZkjHYQKCDKXhv3 Upgrade naar KadastraleKaart Pro
gp 5LPtKNOqGCIf RQkgUpgrade naar KadastraleKaart Pro
IWvj 7AMruUpgrade naar KadastraleKaart Pro
14/09/2010

Percelen
Gebruik de zoekbalk of klik op een perceel om informatie over het perceel te bekijken.