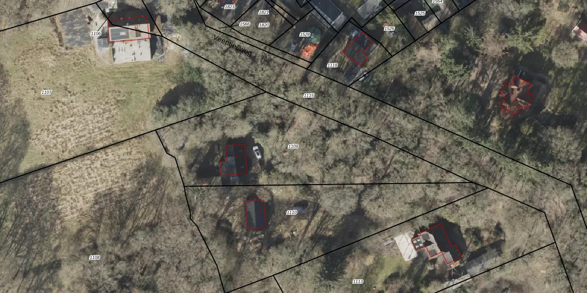
Perceel: VRI00-W-1109
1.940 m2 - 237 m
Eigenaar opvragen
VRI00-W-1109 (Vries)
- 9483 TB
lDI CEn1aRc4h1DfyYLK Upgrade naar KadastraleKaart Pro
Bekijk op Street View
Download DWG/DXF/Excel
4EPtWzJJ 34afN09tUpgrade naar KadastraleKaart Pro
B437t8JhGwHEj 2Upgrade naar KadastraleKaart Pro
06r kRXzPowKqwUpgrade naar KadastraleKaart Pro
24MUs vsKtg maBPJUpgrade naar KadastraleKaart Pro
vNgP7 nFOMzFT 4Upgrade naar KadastraleKaart Pro
5VGGSkAZ 3e0jAL52zvUpgrade naar KadastraleKaart Pro
xdcMRZ3F nnfVIKJ Upgrade naar KadastraleKaart Pro
Ar mF7A Upgrade naar KadastraleKaart Pro
zx5gMqXu2XMfKeBmV9Upgrade naar KadastraleKaart Pro
8QDk UZdUpgrade naar KadastraleKaart Pro
05/12/2000

Percelen
Gebruik de zoekbalk of klik op een perceel om informatie over het perceel te bekijken.