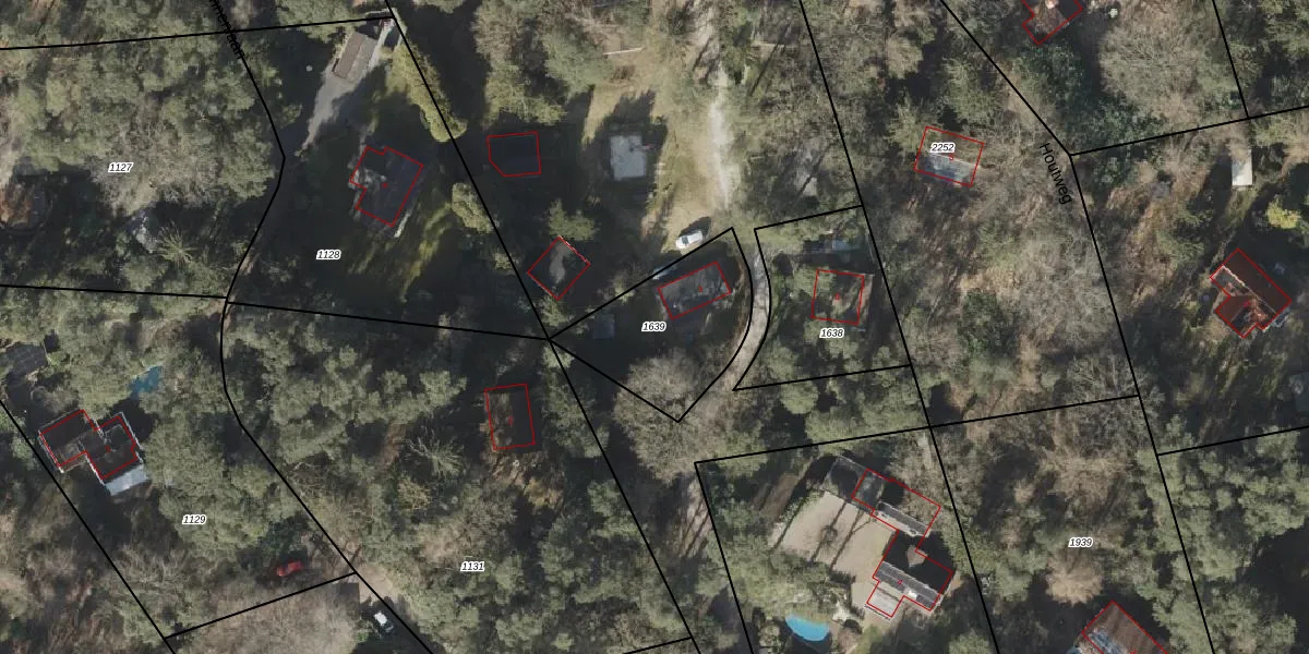
Perceel: VRI00-W-1639
468 m2 - 90 m
Eigenaar opvragen
VRI00-W-1639 (Vries)
- 9483 TG
5ScYZOruUv6dTHIeXR 6b2c gw0LUpgrade naar KadastraleKaart Pro
Verkoopprijs opvragen
Bekijk op Street View
Download DWG/DXF/Excel
o1iHCak8WFZsuMoUpgrade naar KadastraleKaart Pro
066xd Gp CiTUGUpgrade naar KadastraleKaart Pro
imMzJ9pq55Upgrade naar KadastraleKaart Pro
MwscD7KBZvoUpgrade naar KadastraleKaart Pro
Ch9K5Vk4 8OfhT0dUpgrade naar KadastraleKaart Pro
X9uOye6omx2 4X CUpgrade naar KadastraleKaart Pro
fe MQFOBPa tQNO 7Upgrade naar KadastraleKaart Pro
c3QLibz8eyqGiMAyliNu7Upgrade naar KadastraleKaart Pro
zlSWeXPJUDwx6IxRSUpgrade naar KadastraleKaart Pro
n0BymNgJ26 eUpgrade naar KadastraleKaart Pro
05/12/2000

Percelen
Gebruik de zoekbalk of klik op een perceel om informatie over het perceel te bekijken.