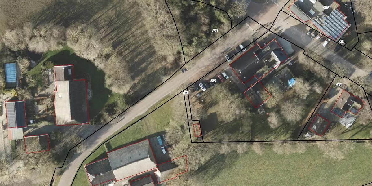
Perceel: VRI00-Y-202
KadastraleKaart.com kan meer dan je denktOntdek meer ›
Filter op bestemming 50+ datasets Eigendomsdata in één klik Percelen CRM
120 m2 - 71 m
Eigenaar opvragen
VRI00-Y-202 (Vries)
- Geen postcode aanwezig
loLBuel4 H4rYEBkgKh8ZSUpgrade naar KadastraleKaart Pro
Bekijk op Street View
Download DWG/DXF/Excel
wx0 53OhGqlbQaoEUpgrade naar KadastraleKaart Pro
hPdaP 3qCfy Mc8Upgrade naar KadastraleKaart Pro
JeGnYQUi b2UWHkPmtNUpgrade naar KadastraleKaart Pro
QzJzXrDTPDyui CsaUpgrade naar KadastraleKaart Pro
HKodDfKOHraxjSVK Ay2o1Upgrade naar KadastraleKaart Pro
Memc rdgk HVb17PgtCgUpgrade naar KadastraleKaart Pro
kbKx85ybhdNc FVUpgrade naar KadastraleKaart Pro
zTrhG5Yw7Upgrade naar KadastraleKaart Pro
zxYyZ W1fZUpgrade naar KadastraleKaart Pro
KmhL WleRmqUpgrade naar KadastraleKaart Pro
18/03/2013

Percelen
Gebruik de zoekbalk of klik op een perceel om informatie over het perceel te bekijken.