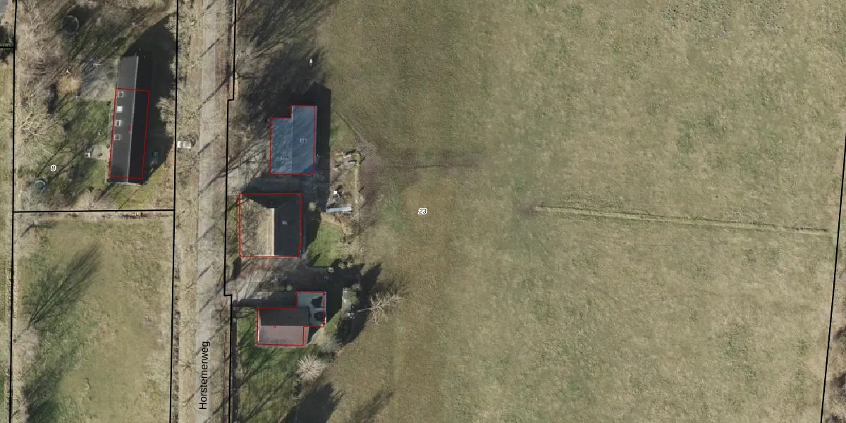
Perceel: VRI00-Y-23
KadastraleKaart.com kan meer dan je denktOntdek meer ›
Filter op bestemming 50+ datasets Eigendomsdata in één klik Percelen CRM
28.750 m2 - 738 m
Eigenaar opvragen
VRI00-Y-23 (Vries)
- 9495 PC
YMV 0Lkzo8S UyQvK3UHUpgrade naar KadastraleKaart Pro
Bekijk op Street View
Download DWG/DXF/Excel
ydgA z5hDm172SUDenFzvUpgrade naar KadastraleKaart Pro
6WOJ9pQpZLSrXEC1bL2DiTNUpgrade naar KadastraleKaart Pro
ug flSXUUdtcUpgrade naar KadastraleKaart Pro
o1XI4Lm 9P5foTC a2Upgrade naar KadastraleKaart Pro
jKRF8swMyYH aNCoRvUpgrade naar KadastraleKaart Pro
OFSY h9NuUpgrade naar KadastraleKaart Pro
7VBs Wds BUpgrade naar KadastraleKaart Pro
uA3ZdLdQUpgrade naar KadastraleKaart Pro
HL4kxscL3321Upgrade naar KadastraleKaart Pro
TuoMkjECUkn3Upgrade naar KadastraleKaart Pro
11/11/2015

Percelen
Gebruik de zoekbalk of klik op een perceel om informatie over het perceel te bekijken.