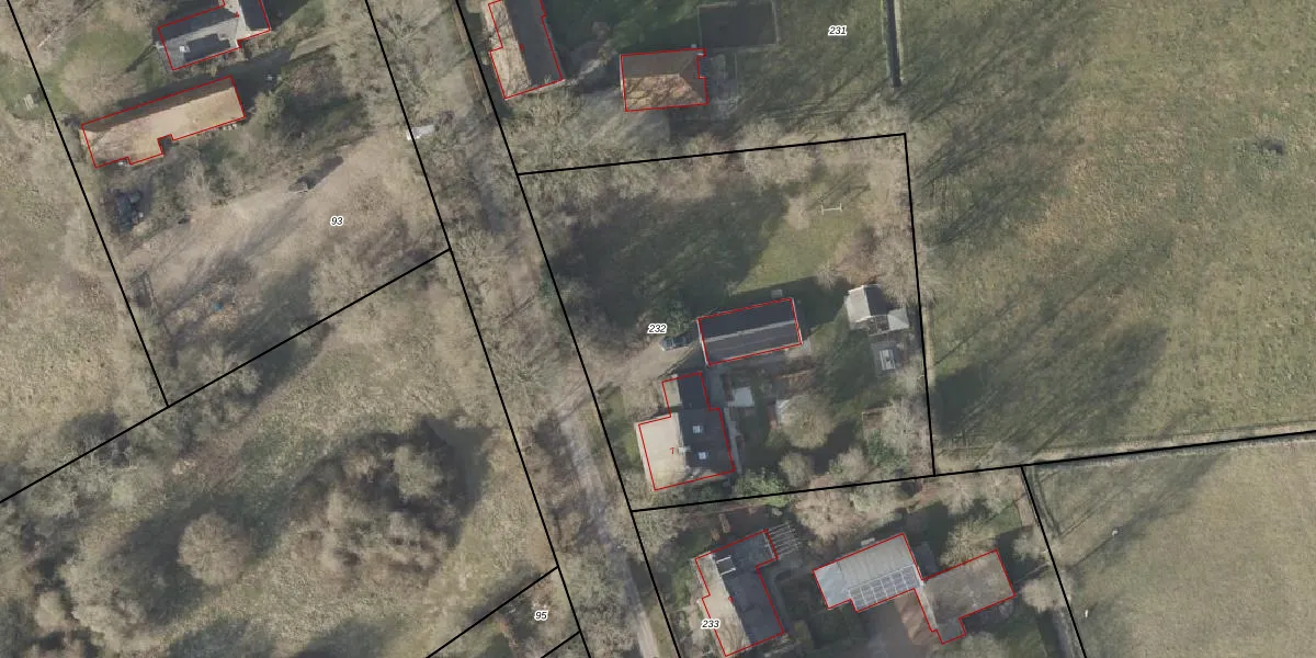
Perceel: VRI00-Y-232
KadastraleKaart.com kan meer dan je denktOntdek meer ›
Filter op bestemming 50+ datasets Eigendomsdata in één klik Percelen CRM
2.720 m2 - 212 m
Eigenaar opvragen
VRI00-Y-232 (Vries)
- 9496 PG
T8uhv4jgMZ8QkKFs tAXlyfUpgrade naar KadastraleKaart Pro
Verkoopprijs opvragen
Bekijk op Street View
Download DWG/DXF/Excel
JGCKCs weSN2Upgrade naar KadastraleKaart Pro
tXGGmceLRAUpgrade naar KadastraleKaart Pro
Z h1 4Cq uUiFYwfTTKTiUpgrade naar KadastraleKaart Pro
HdL VK gmnN7809eojO Upgrade naar KadastraleKaart Pro
EvuKPLx1i4iFUpgrade naar KadastraleKaart Pro
Ah1V9oZMYnnBz0BMl4jUpgrade naar KadastraleKaart Pro
v8R7 X8xUpgrade naar KadastraleKaart Pro
0R1dXdHykfb0Ibqr7SSVcncUpgrade naar KadastraleKaart Pro
0FUcdUo4Upgrade naar KadastraleKaart Pro
u5swaVSyi2rjaMrqyUpgrade naar KadastraleKaart Pro
18/03/2013

Percelen
Gebruik de zoekbalk of klik op een perceel om informatie over het perceel te bekijken.