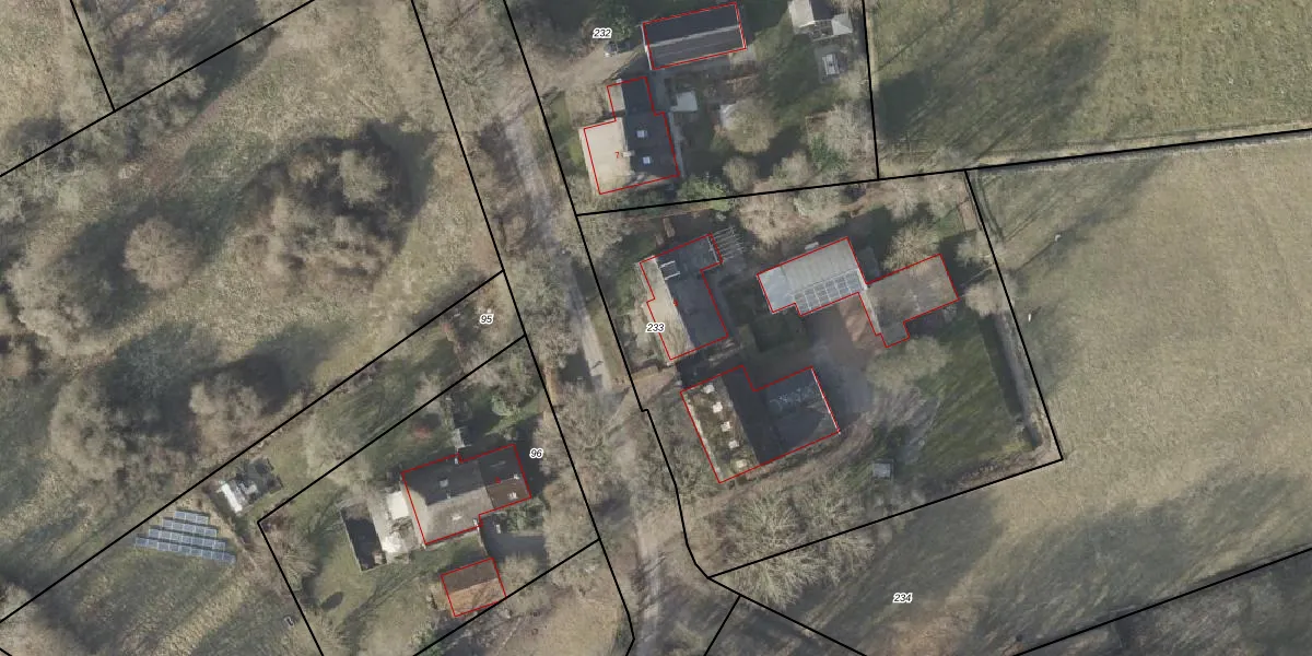
Perceel: VRI00-Y-233
KadastraleKaart.com kan meer dan je denktOntdek meer ›
Filter op bestemming 50+ datasets Eigendomsdata in één klik Percelen CRM
3.045 m2 - 223 m
Eigenaar opvragen
VRI00-Y-233 (Vries)
- 9496 PG
1uRbwdeXgrbwY2cZI7Upgrade naar KadastraleKaart Pro
Verkoopprijs opvragen
Bekijk op Street View
Download DWG/DXF/Excel
97QJ0 OMWKUpgrade naar KadastraleKaart Pro
StoN7pz poK w67Wp83OUpgrade naar KadastraleKaart Pro
3rLeWJMmHa Upgrade naar KadastraleKaart Pro
J CgdyCrqonPGkLUpgrade naar KadastraleKaart Pro
q5atw P6nr6XcIY5i F8Upgrade naar KadastraleKaart Pro
XFQ65Ep1 BSLgWhoxxz Upgrade naar KadastraleKaart Pro
QNE5o7 KcXfjAyXz crbi2Upgrade naar KadastraleKaart Pro
WnbTDdUvFDhbUpgrade naar KadastraleKaart Pro
OJkboOhYRp eXqUas1WTtOUpgrade naar KadastraleKaart Pro
2Ut39n K8X0 jlSmsE HUpgrade naar KadastraleKaart Pro
18/03/2013

Percelen
Gebruik de zoekbalk of klik op een perceel om informatie over het perceel te bekijken.