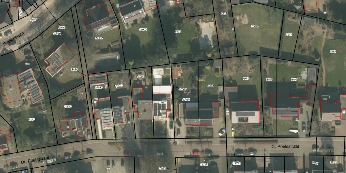
Perceel: VRY00-C-12687
Geen adressen bij dit perceel
8 m2 - 47 m
Eigenaar opvragen
VRY00-C-12687 (Venray)
- Geen postcode aanwezig
AX8NgcztQqyPgR9DaQVuMUpgrade naar KadastraleKaart Pro
Bekijk op Street View
Download DWG/DXF/Excel
Vs3dSLa6iRAOn7fmZH8Upgrade naar KadastraleKaart Pro
p44Cb2IA7 nGzlX0p9jW FgUpgrade naar KadastraleKaart Pro
oHdDfp3yJW3Ra35Zc7GUpgrade naar KadastraleKaart Pro
voSpWsZ W6Upgrade naar KadastraleKaart Pro
FW0OBb2TBZAiemrsgQXUpgrade naar KadastraleKaart Pro
EwgxC3D 7PUstq6eX YYXDUpgrade naar KadastraleKaart Pro
t9aX vzrLiNlkW7s Upgrade naar KadastraleKaart Pro
Q0ylTzl wTZ2Upgrade naar KadastraleKaart Pro
v1nGg2flQ42eTJZEG pUpgrade naar KadastraleKaart Pro
KCC6K P9LwkUpgrade naar KadastraleKaart Pro
02/02/2023

Percelen
Gebruik de zoekbalk of klik op een perceel om informatie over het perceel te bekijken.