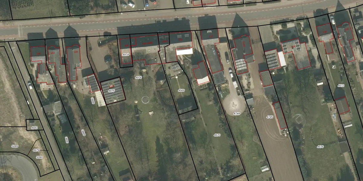
Perceel: VRY00-E-4569
KadastraleKaart.com kan meer dan je denktOntdek meer ›
Filter op bestemming 50+ datasets Eigendomsdata in één klik Percelen CRM
400 m2 - 120 m
Eigenaar opvragen
VRY00-E-4569 (Venray)
- 5807 AC
GyygbLX1ibdVPV WUpgrade naar KadastraleKaart Pro
Bekijk op Street View
Download DWG/DXF/Excel
A hbA 5k77SFIcUpgrade naar KadastraleKaart Pro
oXHCgACVvUpgrade naar KadastraleKaart Pro
53u6p2wwwkv3mnCJi7zIlUpgrade naar KadastraleKaart Pro
C94buCU80KUpgrade naar KadastraleKaart Pro
zGNxyVMkV0eLQL2dHeFSKUpgrade naar KadastraleKaart Pro
ZtBs1H8GyUUpgrade naar KadastraleKaart Pro
5bvYXN4OlGn9kZJX377l jCUpgrade naar KadastraleKaart Pro
SAfJ3vh53hAUpgrade naar KadastraleKaart Pro
IIxZDtI zpn ffEtZHgnkUpgrade naar KadastraleKaart Pro
B0dl 8qzN1h4qUpgrade naar KadastraleKaart Pro
07/08/2008

Percelen
Gebruik de zoekbalk of klik op een perceel om informatie over het perceel te bekijken.