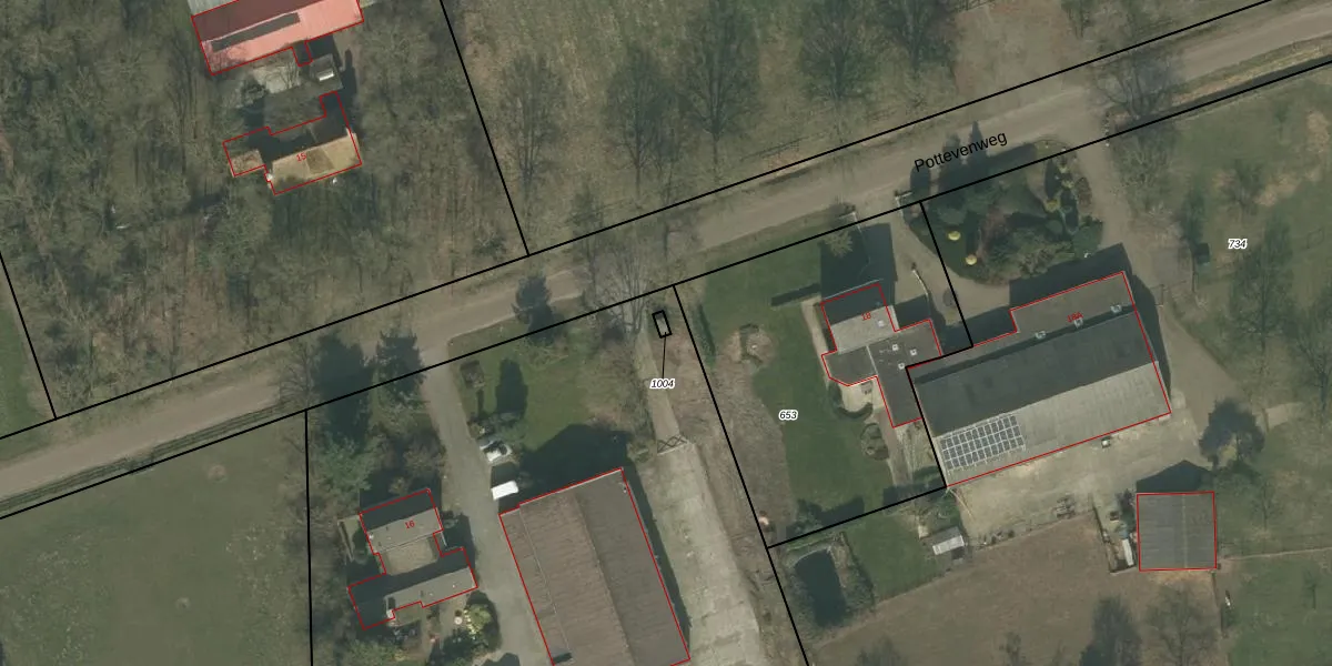
Perceel: VRY00-M-1004
Geen adressen bij dit perceel
6 m2 - 11 m
Eigenaar opvragen
VRY00-M-1004 (Venray)
- Geen postcode aanwezig
carGMy9boCQDlkVQURuKUpgrade naar KadastraleKaart Pro
Bekijk op Street View
Download DWG/DXF/Excel
FczUb7 mUpgrade naar KadastraleKaart Pro
MjZCtiZ7MRj5UYUpgrade naar KadastraleKaart Pro
NrRR5BGrqr sN 8yWoWH3AUpgrade naar KadastraleKaart Pro
ZG d46r70tk0Upgrade naar KadastraleKaart Pro
PgpcPT6rQGhyrM Upgrade naar KadastraleKaart Pro
Bdv6pgZSUpgrade naar KadastraleKaart Pro
Cq9szrpJ ArcUpgrade naar KadastraleKaart Pro
Jvw827JQuUpgrade naar KadastraleKaart Pro
wSM8MDF 1mL vUpgrade naar KadastraleKaart Pro
GF4GDBgIyU NxWf5Upgrade naar KadastraleKaart Pro
20/08/2008

Percelen
Gebruik de zoekbalk of klik op een perceel om informatie over het perceel te bekijken.