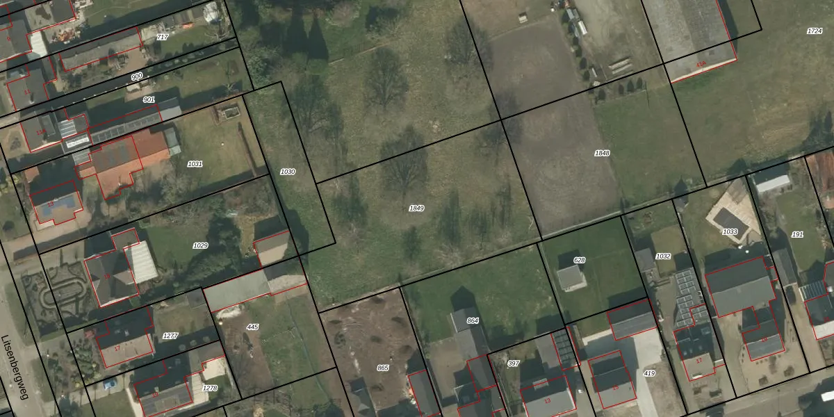
Perceel: VRY00-M-1849
Geen adressen bij dit perceel
1.553 m2 - 173 m
Eigenaar opvragen
VRY00-M-1849 (Venray)
- Geen postcode aanwezig
xj Lphl6puPDJMMUS10XRT6uXp2mUpgrade naar KadastraleKaart Pro
Bekijk op Street View
Download DWG/DXF/Excel
x4NR3598OnRSy7iY3TmbhrYUpgrade naar KadastraleKaart Pro
IIONw1yeGsGwotWSXUpgrade naar KadastraleKaart Pro
ebn I8wFYp Upgrade naar KadastraleKaart Pro
g88zsPSmtOcaUpgrade naar KadastraleKaart Pro
zu01OENjAF0UUpgrade naar KadastraleKaart Pro
AaCHCfpwZoKi9 Upgrade naar KadastraleKaart Pro
r0GYUplzpcUpgrade naar KadastraleKaart Pro
10i2 NjRZPIF Upgrade naar KadastraleKaart Pro
QlUeakfFm Yywl1PVUpgrade naar KadastraleKaart Pro
9IrakB7oUpgrade naar KadastraleKaart Pro
06/09/2019

Percelen
Gebruik de zoekbalk of klik op een perceel om informatie over het perceel te bekijken.