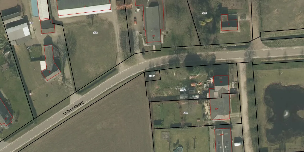
Perceel: VRY00-P-1017
KadastraleKaart.com kan meer dan je denktOntdek meer ›
Filter op bestemming 50+ datasets Eigendomsdata in één klik Percelen CRM
Geen adressen bij dit perceel
60 m2 - 33 m
Eigenaar opvragen
VRY00-P-1017 (Venray)
- Geen postcode aanwezig
YV3WFD3XJo2Y1RKbaUpgrade naar KadastraleKaart Pro
Bekijk op Street View
Download DWG/DXF/Excel
oKMuvN6BUpgrade naar KadastraleKaart Pro
tuix1RrkBmVQU0D RLdUpgrade naar KadastraleKaart Pro
I7b wAnE 1LUpgrade naar KadastraleKaart Pro
eWzt4iRnUpgrade naar KadastraleKaart Pro
J9i8SEtU3uK0T LxlsR3GUpgrade naar KadastraleKaart Pro
LrW c43o52gAZK L P0Upgrade naar KadastraleKaart Pro
96XEi2l5GH9Upgrade naar KadastraleKaart Pro
jhWCk6La VUoUIUpgrade naar KadastraleKaart Pro
ZEu f ka oveSMUpgrade naar KadastraleKaart Pro
vXJQvIx9IJJ1cUpgrade naar KadastraleKaart Pro
13/02/2012

Percelen
Gebruik de zoekbalk of klik op een perceel om informatie over het perceel te bekijken.