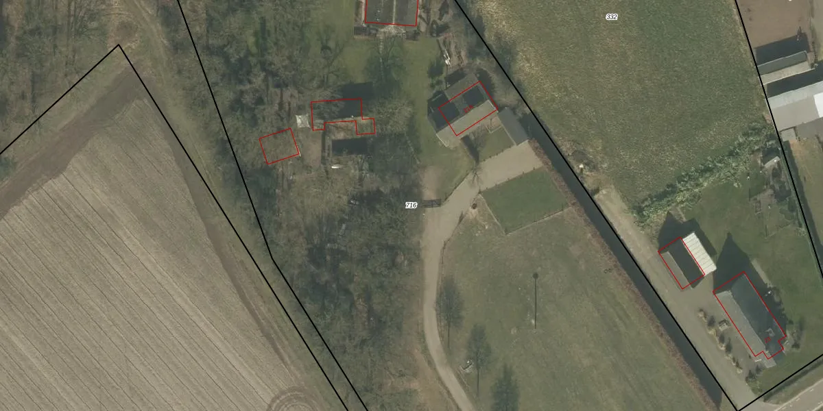
Perceel: VRY00-P-716
KadastraleKaart.com kan meer dan je denktOntdek meer ›
Filter op bestemming 50+ datasets Eigendomsdata in één klik Percelen CRM
12.260 m2 - 498 m
Eigenaar opvragen
VRY00-P-716 (Venray)
- 5811 AJ
vdwOmeNyUcJbpD3O2CwyzJKViBvzyu Upgrade naar KadastraleKaart Pro
Bekijk op Street View
Download DWG/DXF/Excel
V mjZ4 OZFUpgrade naar KadastraleKaart Pro
dV1vUw2o2Er0w2nnHbUDSwUpgrade naar KadastraleKaart Pro
QZ5qpJ7 4 ghOmP0OUpgrade naar KadastraleKaart Pro
0lBWSqKUpgrade naar KadastraleKaart Pro
I4U7c7ck34exbeGSBUpgrade naar KadastraleKaart Pro
QHGCeVi2GUpgrade naar KadastraleKaart Pro
ACSHXXccFUpgrade naar KadastraleKaart Pro
PZv 5ZU4DNRNwjK80UUpgrade naar KadastraleKaart Pro
Sdyewf C2 nCjU3K9 Upgrade naar KadastraleKaart Pro
euE559M8 ZUpgrade naar KadastraleKaart Pro
30/03/2023

Percelen
Gebruik de zoekbalk of klik op een perceel om informatie over het perceel te bekijken.