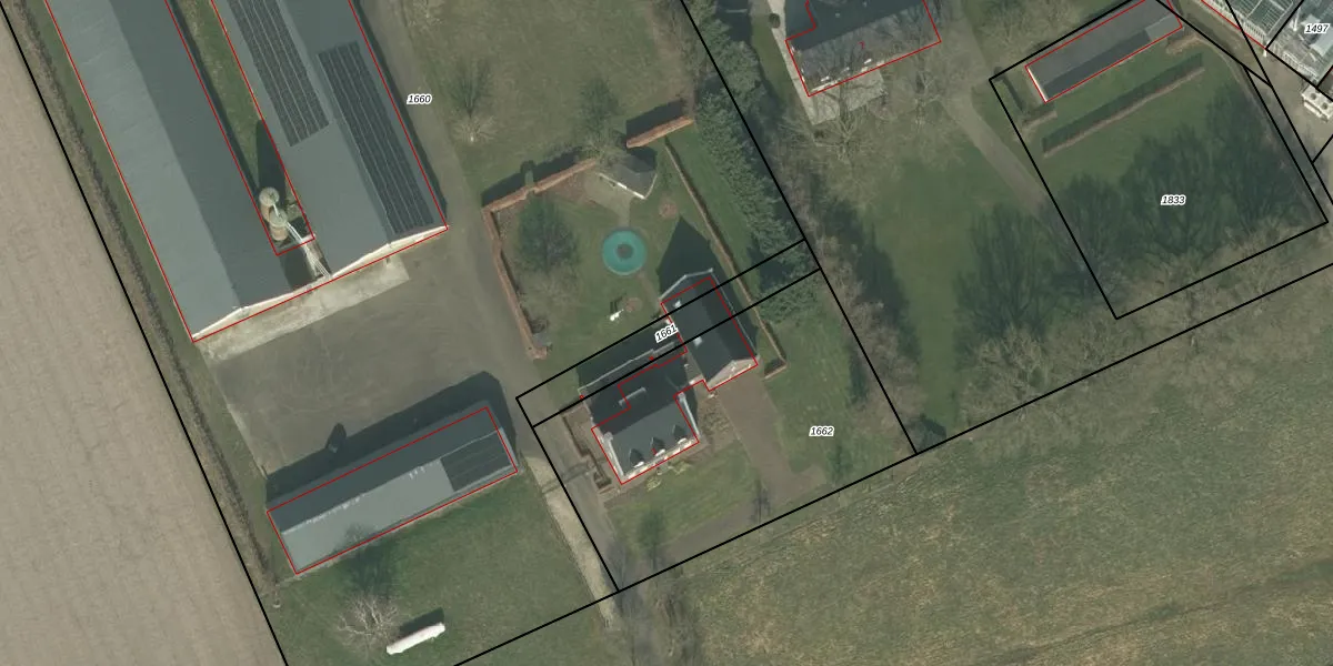
Perceel: VRY00-R-1661
Geen adressen bij dit perceel
246 m2 - 109 m
Eigenaar opvragen
VRY00-R-1661 (Venray)
- Geen postcode aanwezig
U7 SC9KjxVdi MK W 5gTr9JUpgrade naar KadastraleKaart Pro
Bekijk op Street View
Download DWG/DXF/Excel
p43G9l5JFfoGS76fPLJY0pUpgrade naar KadastraleKaart Pro
a1wQa2X8POFPufOZ sKzNUpgrade naar KadastraleKaart Pro
uXakskT D X3qjFUpgrade naar KadastraleKaart Pro
XG NwYAs uuGBHS0Upgrade naar KadastraleKaart Pro
I6Opq iyF l8SLbHPJ5UsUpgrade naar KadastraleKaart Pro
gNvSK1ns2MrHs5XUpgrade naar KadastraleKaart Pro
MHzKEwFhEgTqUpgrade naar KadastraleKaart Pro
2czD0tg 4Upgrade naar KadastraleKaart Pro
9m02TYSLUpgrade naar KadastraleKaart Pro
o0VWVoPlThaUpgrade naar KadastraleKaart Pro
14/08/2008

Percelen
Gebruik de zoekbalk of klik op een perceel om informatie over het perceel te bekijken.