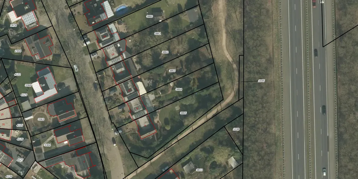
Perceel: VRY00-T-3864
KadastraleKaart.com kan meer dan je denktOntdek meer ›
Filter op bestemming 50+ datasets Eigendomsdata in één klik Percelen CRM
703 m2 - 151 m
Eigenaar opvragen
VRY00-T-3864 (Venray)
- 5803 AK
jX75c6QglDX5o8HiRyUpgrade naar KadastraleKaart Pro
Bekijk op Street View
Download DWG/DXF/Excel
lnFoIlhZF80O fSeYUpgrade naar KadastraleKaart Pro
t5beeeePDIKtXh xy7uUpgrade naar KadastraleKaart Pro
PIl 6LoSUpgrade naar KadastraleKaart Pro
rFkYhUszG1 mUpgrade naar KadastraleKaart Pro
8hr9vDMflRnZiMgbk8 s wUpgrade naar KadastraleKaart Pro
x94S7ziz2NjUpgrade naar KadastraleKaart Pro
mKCWyTgvOLH W OUpgrade naar KadastraleKaart Pro
u tYNgTrwKq92YUpgrade naar KadastraleKaart Pro
b6GYyVnnyTzUpgrade naar KadastraleKaart Pro
la63MTq2S3ad bShFwcioLbUpgrade naar KadastraleKaart Pro
27/08/2008

Percelen
Gebruik de zoekbalk of klik op een perceel om informatie over het perceel te bekijken.