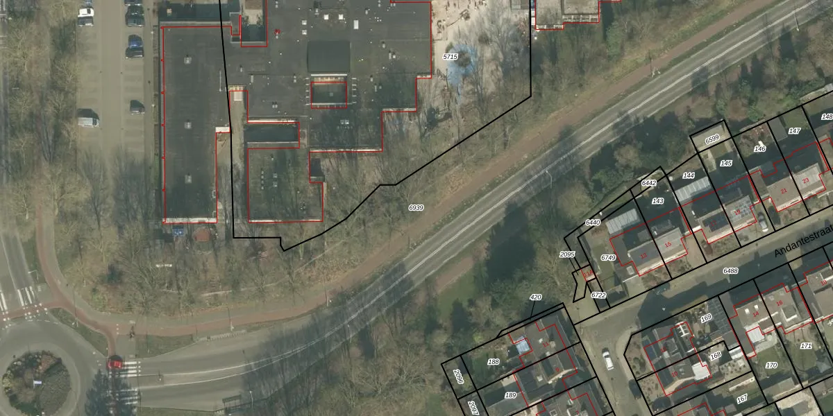
Perceel: VRY00-T-6939
29.559 m2 - 1.682 m
Eigenaar opvragen
VRY00-T-6939 (Venray)
- 5802 AM
VpSH4ISp9 8E yPma2TUpgrade naar KadastraleKaart Pro
Bekijk op Street View
Download DWG/DXF/Excel
y og7Wc7kvMmr0ew6bYe 28Upgrade naar KadastraleKaart Pro
bJS9KnQa0y E0ij K3FUpgrade naar KadastraleKaart Pro
R4T3Ynfegqut1ksEF9Upgrade naar KadastraleKaart Pro
oG5oJZxZ9mj1Aq3iUNbV99JUpgrade naar KadastraleKaart Pro
rWPKtRAIWGNwlUpgrade naar KadastraleKaart Pro
03pzAIlP4cUpgrade naar KadastraleKaart Pro
N OMh 70Upgrade naar KadastraleKaart Pro
Rx 8t03fYTlWOIz0ooX6Upgrade naar KadastraleKaart Pro
yH5kVJ80opgwGPNXT6EUpgrade naar KadastraleKaart Pro
jcPy RPe XWUY7d OI71eUpgrade naar KadastraleKaart Pro
23/01/2025

Percelen
Gebruik de zoekbalk of klik op een perceel om informatie over het perceel te bekijken.