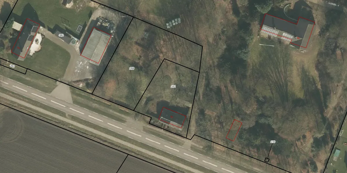
Perceel: VRY00-V-161
KadastraleKaart.com kan meer dan je denktOntdek meer ›
Filter op bestemming 50+ datasets Eigendomsdata in één klik Percelen CRM
1.030 m2 - 133 m
Eigenaar opvragen
VRY00-V-161 (Venray)
- 5815 CN
nQlLO92i njX wm0NnsyibAc1OUpgrade naar KadastraleKaart Pro
Bekijk op Street View
Download DWG/DXF/Excel
pBoEk8LQCksUoKpjPocUpgrade naar KadastraleKaart Pro
jfefsLnI3SwehilqS9FUpgrade naar KadastraleKaart Pro
WOK1nQ9FFhkUpgrade naar KadastraleKaart Pro
m4675m0fJJx tUpgrade naar KadastraleKaart Pro
cEk1h rwwUpgrade naar KadastraleKaart Pro
0D EgW4qAbAiVLJUpgrade naar KadastraleKaart Pro
vII7r GbVJ2SnUpgrade naar KadastraleKaart Pro
P06p3 yoVUpgrade naar KadastraleKaart Pro
69 xFLh5 O wa9bEKNtUUpgrade naar KadastraleKaart Pro
iFTug83YIyNXUpgrade naar KadastraleKaart Pro
27/08/2008

Percelen
Gebruik de zoekbalk of klik op een perceel om informatie over het perceel te bekijken.