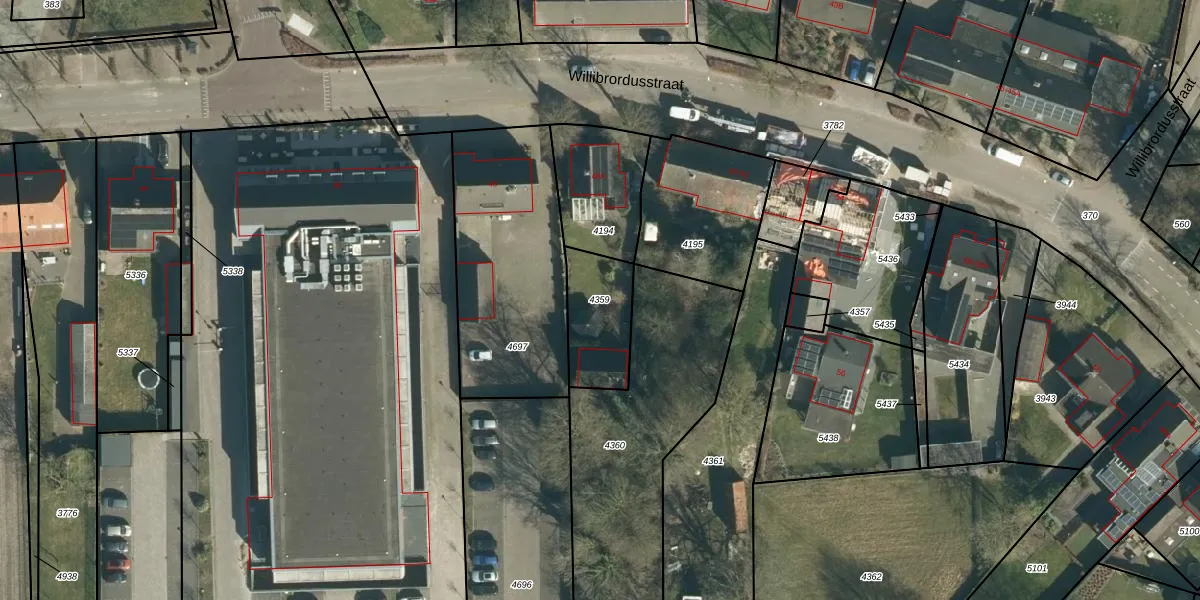
Perceel: VSM01-D-4359
KadastraleKaart.com kan meer dan je denktOntdek meer ›
Filter op bestemming 50+ datasets Eigendomsdata in één klik Percelen CRM
Geen adressen bij dit perceel
230 m2 - 66 m
Eigenaar opvragen
VSM01-D-4359 (Vessem)
- Geen postcode aanwezig
ARAtwkfV7sGfPkRk 93EF2jpgcWTFUpgrade naar KadastraleKaart Pro
Bekijk op Street View
Download DWG/DXF/Excel
I4lcT1PnZVZJfxefUpgrade naar KadastraleKaart Pro
XMAA1nS0juRUU1s wmxQon Upgrade naar KadastraleKaart Pro
uDqkIfXHrJocUpgrade naar KadastraleKaart Pro
qpjOq4QtUpgrade naar KadastraleKaart Pro
gZD rEc5UzjVDte4Upgrade naar KadastraleKaart Pro
kT 2INmKwZUpgrade naar KadastraleKaart Pro
5UmGLJ9zl kzKvDH80Upgrade naar KadastraleKaart Pro
4lW8m3 vc0jR0hUkde8w PUpgrade naar KadastraleKaart Pro
KK6BMAjqUpgrade naar KadastraleKaart Pro
LbEHiy4 RUpgrade naar KadastraleKaart Pro
03/06/2005

Percelen
Gebruik de zoekbalk of klik op een perceel om informatie over het perceel te bekijken.