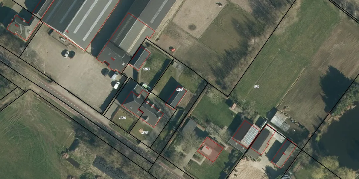
Perceel: VSM01-D-4975
Geen adressen bij dit perceel
707 m2 - 145 m
Eigenaar opvragen
VSM01-D-4975 (Vessem)
- Geen postcode aanwezig
rRw 3dVd1oIkEhXQW3fPQ0oMVID PUpgrade naar KadastraleKaart Pro
Bekijk op Street View
Download DWG/DXF/Excel
WJCYV4mTL IpSTbKly5a84Upgrade naar KadastraleKaart Pro
CxStHBN5Us4 NY uxUpgrade naar KadastraleKaart Pro
rfkw1oQ XH52bwTbcEBmSm6Upgrade naar KadastraleKaart Pro
ZKY 1YAqnUpgrade naar KadastraleKaart Pro
8 NkYp8zEDT4kFVYTUpgrade naar KadastraleKaart Pro
BSlTi5N2Upgrade naar KadastraleKaart Pro
wNaASkLi24 aUpgrade naar KadastraleKaart Pro
SIzPD5mvJw 8 uf93Bj4 Upgrade naar KadastraleKaart Pro
K321L3 Skc6loUpgrade naar KadastraleKaart Pro
fQW8KAFC EUpgrade naar KadastraleKaart Pro
24/11/2014

Percelen
Gebruik de zoekbalk of klik op een perceel om informatie over het perceel te bekijken.