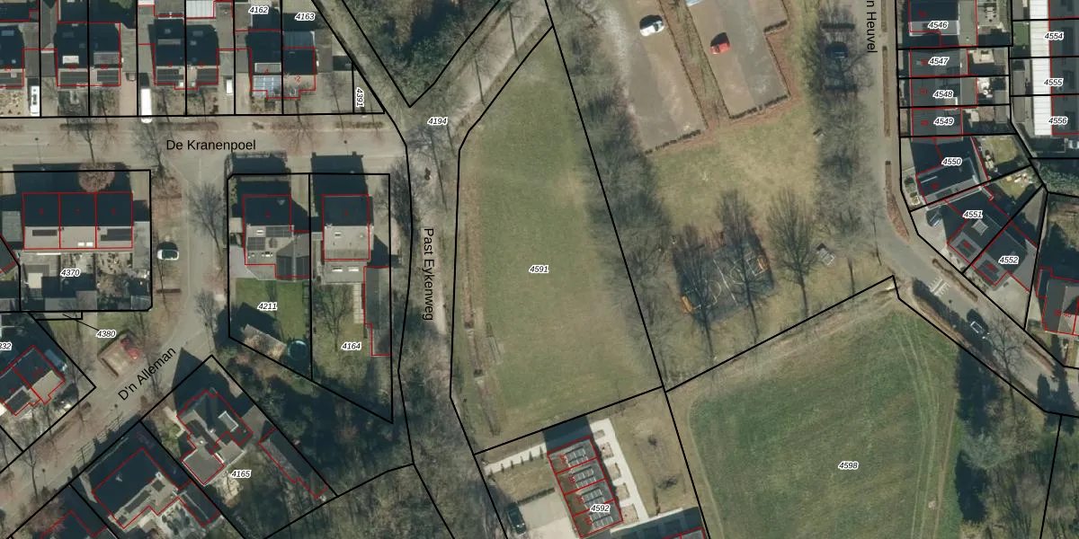
Perceel: VSM01-F-4591
Geen adressen bij dit perceel
1.930 m2 - 194 m
Eigenaar opvragen
VSM01-F-4591 (Vessem)
- Geen postcode aanwezig
Kc51PQ8i7A4Bj 7hADUpgrade naar KadastraleKaart Pro
Bekijk op Street View
Download DWG/DXF/Excel
vRYtMBx lCHB1W 4zuUpgrade naar KadastraleKaart Pro
pMxej36v5cWHaG4h6DwUpgrade naar KadastraleKaart Pro
nCLn4vOxpyxX0EiqGRUpgrade naar KadastraleKaart Pro
ElSOfmjrU YUpgrade naar KadastraleKaart Pro
Q8pq XBN Upgrade naar KadastraleKaart Pro
8JZGR Vv8kUpgrade naar KadastraleKaart Pro
z9gjP0OZelWn52JpyHUHdTUpgrade naar KadastraleKaart Pro
U P1 9oXkuAdIBHr75dUpgrade naar KadastraleKaart Pro
lggX0bJM4hcogLh cgz14 Upgrade naar KadastraleKaart Pro
KVkb 0VlmhK9V40CySUpgrade naar KadastraleKaart Pro
08/11/2024

Percelen
Gebruik de zoekbalk of klik op een perceel om informatie over het perceel te bekijken.