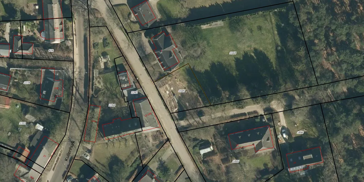
Perceel: VSM01-K-1645
500 m2 - 90 m
Eigenaar opvragen
VSM01-K-1645 (Vessem)
- 5512 CK
b Z3AEXXl pZk8XZtUpgrade naar KadastraleKaart Pro
Bekijk op Street View
Download DWG/DXF/Excel
8DmT3PpSBa E67QsUpgrade naar KadastraleKaart Pro
TusLVF3MuHehoUpgrade naar KadastraleKaart Pro
CJ9siCIzvHUpgrade naar KadastraleKaart Pro
2PB wehMUpgrade naar KadastraleKaart Pro
5Hq nLJ7d76aliLlHqUpgrade naar KadastraleKaart Pro
AjkSpv99W6YUpgrade naar KadastraleKaart Pro
f7 i8U5jeHVO3Y uUpgrade naar KadastraleKaart Pro
K58SsGSdKUpgrade naar KadastraleKaart Pro
TQCvqD36 jUTELZzLFGzlUpgrade naar KadastraleKaart Pro
lS5 dJNqrM Upgrade naar KadastraleKaart Pro
02/10/2024

Percelen
Gebruik de zoekbalk of klik op een perceel om informatie over het perceel te bekijken.