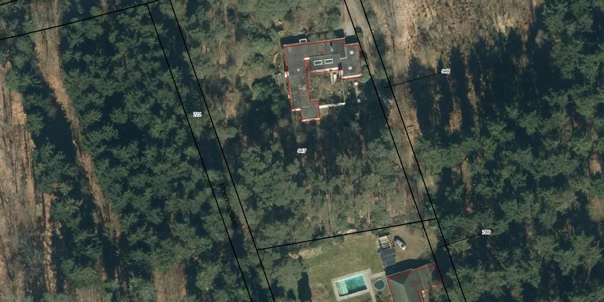
Perceel: VSM01-M-947
KadastraleKaart.com kan meer dan je denktOntdek meer ›
Filter op bestemming 50+ datasets Eigendomsdata in één klik Percelen CRM
5.110 m2 - 297 m
Eigenaar opvragen
VSM01-M-947 (Vessem)
- 5511 PB
yI8ff V5fadVxB3NxUpgrade naar KadastraleKaart Pro
Verkoopprijs opvragen
Bekijk op Street View
Download DWG/DXF/Excel
QCr6RE94tFRHozwN9UCPWUpgrade naar KadastraleKaart Pro
IkDNQCn xmXdCRUpgrade naar KadastraleKaart Pro
M n594WK7 Kv0Mm1vAoUpgrade naar KadastraleKaart Pro
pIOFCU rbRmEHYUpgrade naar KadastraleKaart Pro
DepWxUlBOcH65VDFJ8EwUpgrade naar KadastraleKaart Pro
gDENbpmGm N pVp Kp4Upgrade naar KadastraleKaart Pro
R9M0HDnzC3MTOxBTd ig84Upgrade naar KadastraleKaart Pro
A7rx192RTqfJcm pxJUpgrade naar KadastraleKaart Pro
HAF4150D B9fMI00Upgrade naar KadastraleKaart Pro
OGSZA09OJtZQWzsedknLdpAUpgrade naar KadastraleKaart Pro
19/10/2017

Percelen
Gebruik de zoekbalk of klik op een perceel om informatie over het perceel te bekijken.