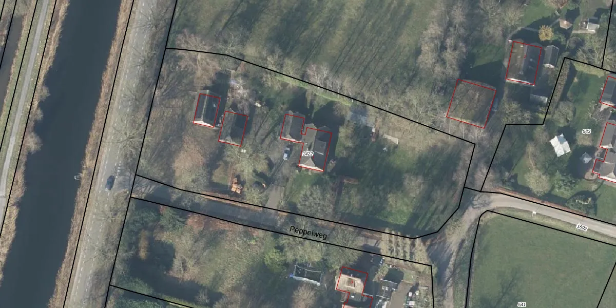
Perceel: VSN02-B-1422
KadastraleKaart.com kan meer dan je denktOntdek meer ›
Filter op bestemming 50+ datasets Eigendomsdata in één klik Percelen CRM
4.210 m2 - 280 m
Eigenaar opvragen
VSN02-B-1422 (Vaassen)
- 8171 LS
RTfonCXDvQMuGDGGEmHUpgrade naar KadastraleKaart Pro
Bekijk op Street View
Download DWG/DXF/Excel
NpLh6NAHk D3lf6yvjJ vUpUpgrade naar KadastraleKaart Pro
iLU7A7HTnU6fnjRjh2an8Upgrade naar KadastraleKaart Pro
znDGd53yG t LAxD7sUrqcUpgrade naar KadastraleKaart Pro
ExNJtY2Ef GcNr5ANUpgrade naar KadastraleKaart Pro
ZWBNzNxPsEV30AUpgrade naar KadastraleKaart Pro
8PvBR0rbDUpgrade naar KadastraleKaart Pro
OTt8RZbORuSODUpgrade naar KadastraleKaart Pro
nku wXVfKE ZyjWYrzUpgrade naar KadastraleKaart Pro
pYtox7e aUuQBdT Upgrade naar KadastraleKaart Pro
Va47 EC57d IUpgrade naar KadastraleKaart Pro
13/03/2002

Percelen
Gebruik de zoekbalk of klik op een perceel om informatie over het perceel te bekijken.