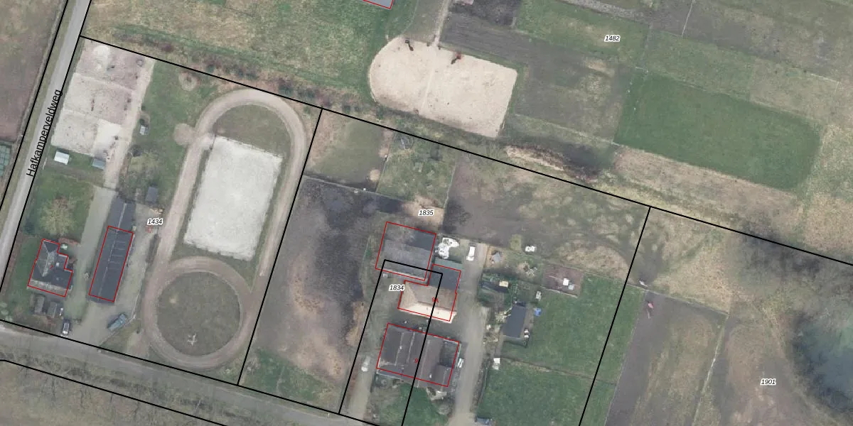
Perceel: VSN02-B-1835
KadastraleKaart.com kan meer dan je denktOntdek meer ›
Filter op bestemming 50+ datasets Eigendomsdata in één klik Percelen CRM
4.840 m2 - 369 m
Eigenaar opvragen
VSN02-B-1835 (Vaassen)
- 8171 LN
0WSNiDNFiq KFuDLFVM Upgrade naar KadastraleKaart Pro
Bekijk op Street View
Download DWG/DXF/Excel
kvi aAGoBiEGhciMyrUpgrade naar KadastraleKaart Pro
mCszYvb tEg5N250iQDHiH4Upgrade naar KadastraleKaart Pro
a 6aDgxVPrUpgrade naar KadastraleKaart Pro
WOAT9sslNjD98MiCxnUpgrade naar KadastraleKaart Pro
uiKIQQU72wHCIG1W4pjUpgrade naar KadastraleKaart Pro
NuhzUJkX3GVdi BZVUpgrade naar KadastraleKaart Pro
s1HyAc C 4yPEUpgrade naar KadastraleKaart Pro
sl gys jX6gbH3iNRUpgrade naar KadastraleKaart Pro
DCKHYF1Aw PG fG9 x7 ZHlUpgrade naar KadastraleKaart Pro
IuErZ fZO0bJEl0Upgrade naar KadastraleKaart Pro
03/07/2000

Percelen
Gebruik de zoekbalk of klik op een perceel om informatie over het perceel te bekijken.