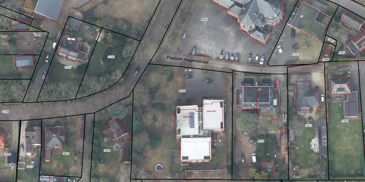
Perceel: VSN02-C-4039
KadastraleKaart.com kan meer dan je denktOntdek meer ›
Filter op bestemming 50+ datasets Eigendomsdata in één klik Percelen CRM
3.322 m2 - 226 m
Eigenaar opvragen
VSN02-C-4039 (Vaassen)
- 8171 AG
B7yUeO D9BUhJpBMUpgrade naar KadastraleKaart Pro
Bekijk op Street View
Download DWG/DXF/Excel
S3rdZDHDr9A9CcM1QZFUpgrade naar KadastraleKaart Pro
6lyH w9YNb7Dl5PgifeUJXUpgrade naar KadastraleKaart Pro
UWSjMsXJJdgntUpgrade naar KadastraleKaart Pro
LRhQOXw 9SUpgrade naar KadastraleKaart Pro
jS3QjDqSl8rZJi5Upgrade naar KadastraleKaart Pro
r4NOUfgQ 8xV HhSfNGIUpgrade naar KadastraleKaart Pro
erx6VfVW8tUpgrade naar KadastraleKaart Pro
4dd3ZJnSmkFOp2ah7u Upgrade naar KadastraleKaart Pro
erJDV uUXLPw2o3bKUpgrade naar KadastraleKaart Pro
YFP LezO sWDUpgrade naar KadastraleKaart Pro
12/05/2006

Percelen
Gebruik de zoekbalk of klik op een perceel om informatie over het perceel te bekijken.