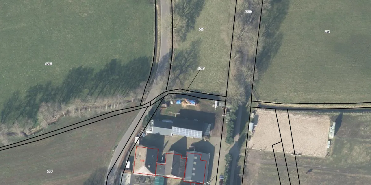
Perceel: VSN02-D-1080
KadastraleKaart.com kan meer dan je denktOntdek meer ›
Filter op bestemming 50+ datasets Eigendomsdata in één klik Percelen CRM
Geen adressen bij dit perceel
100 m2 - 91 m
Eigenaar opvragen
VSN02-D-1080 (Vaassen)
- Geen postcode aanwezig
Hyj OHZQZer1sERGJWG3Upgrade naar KadastraleKaart Pro
Bekijk op Street View
Download DWG/DXF/Excel
fa 09 5E a Cwg4kUpgrade naar KadastraleKaart Pro
njE 0jWqM0eiqhCX JBUpgrade naar KadastraleKaart Pro
a fKr iGfUpgrade naar KadastraleKaart Pro
qFF0Na8MDnyy3 p5sNpUpgrade naar KadastraleKaart Pro
Ju 6 sxVwQio7GCmUpgrade naar KadastraleKaart Pro
VO MwZyS4x lUpgrade naar KadastraleKaart Pro
tpdkCN8WEYUpgrade naar KadastraleKaart Pro
XnH yPg2IjdSs89AD kzkpUpgrade naar KadastraleKaart Pro
FwFmzM dOjTUpgrade naar KadastraleKaart Pro
tX3rn2k4G1UkS57YXRUpgrade naar KadastraleKaart Pro
03/09/2003

Percelen
Gebruik de zoekbalk of klik op een perceel om informatie over het perceel te bekijken.