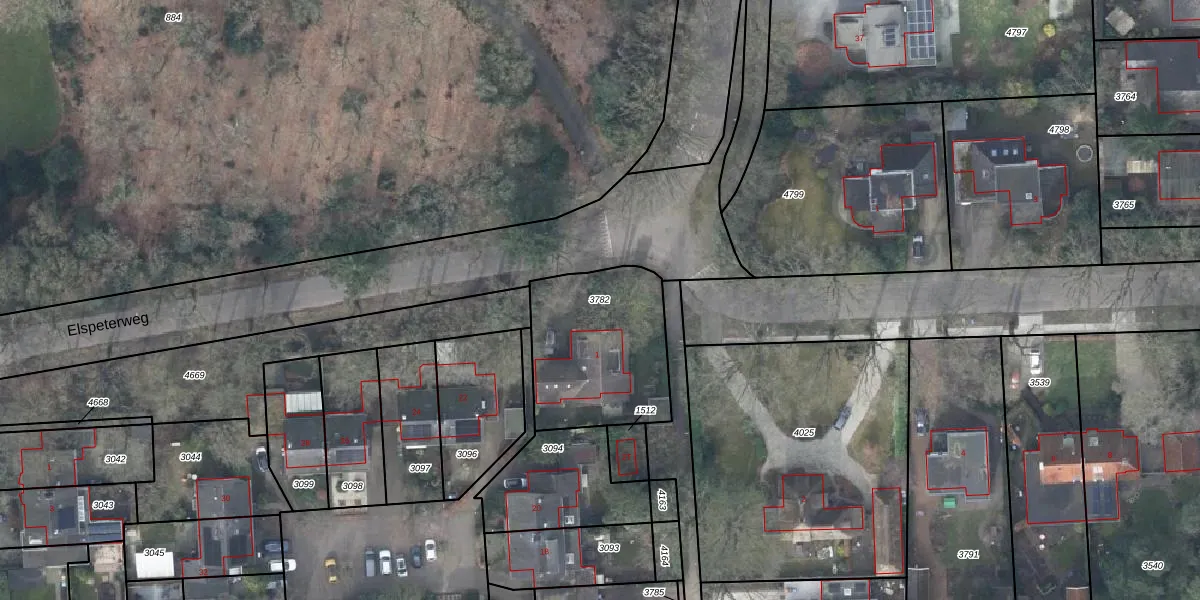
Perceel: VSN02-D-3782
KadastraleKaart.com kan meer dan je denktOntdek meer ›
Filter op bestemming 50+ datasets Eigendomsdata in één klik Percelen CRM
585 m2 - 95 m
Eigenaar opvragen
VSN02-D-3782 (Vaassen)
- 8171 ER
irZaY l5ZSLjov467Upgrade naar KadastraleKaart Pro
Bekijk op Street View
Download DWG/DXF/Excel
UU2 ACR XUeUpgrade naar KadastraleKaart Pro
uh9fPU4avV2zQLJIbAsoQDUpgrade naar KadastraleKaart Pro
hXnijU4c Upgrade naar KadastraleKaart Pro
fNWj6Nt8UXDUpgrade naar KadastraleKaart Pro
r3aUZz1zMhuDVsPAKkgcrSUpgrade naar KadastraleKaart Pro
vedgil8RuQLeqC5UbEZhn3Upgrade naar KadastraleKaart Pro
DN8 pchh5hMVP0jRlcFynUpgrade naar KadastraleKaart Pro
T6 sIBDmM6xtSsyLUpgrade naar KadastraleKaart Pro
tkp5dNSPtWUAm3yHHbJjUpgrade naar KadastraleKaart Pro
h5kWLElMUpgrade naar KadastraleKaart Pro
07/07/2000

Percelen
Gebruik de zoekbalk of klik op een perceel om informatie over het perceel te bekijken.