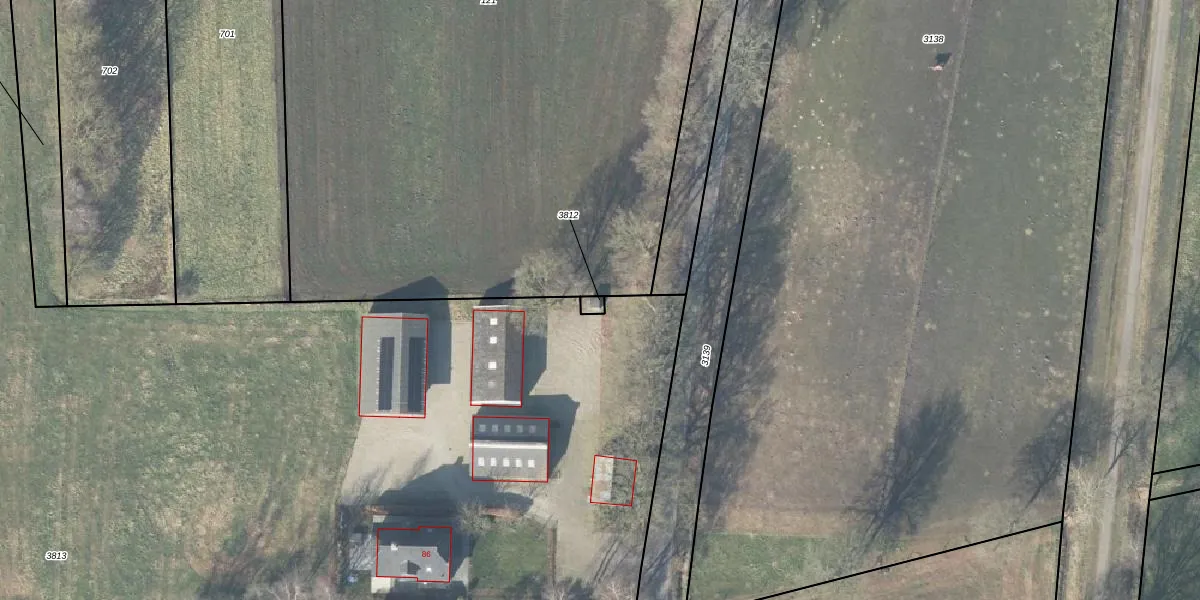
Perceel: VSN02-D-3812
KadastraleKaart.com kan meer dan je denktOntdek meer ›
Filter op bestemming 50+ datasets Eigendomsdata in één klik Percelen CRM
Geen adressen bij dit perceel
12 m2 - 14 m
Eigenaar opvragen
VSN02-D-3812 (Vaassen)
- Geen postcode aanwezig
kI6deiSC pkvwfVaqf20BcCiqtUpgrade naar KadastraleKaart Pro
Bekijk op Street View
Download DWG/DXF/Excel
QovvcHVO56OPRUpgrade naar KadastraleKaart Pro
5bbmWu5gPUpgrade naar KadastraleKaart Pro
iK3o DujFH8h5xy W1Upgrade naar KadastraleKaart Pro
1bczu r jUpgrade naar KadastraleKaart Pro
JRMJ6tmtRnqEQjyxUvRUpgrade naar KadastraleKaart Pro
gxFIFIo06cUpgrade naar KadastraleKaart Pro
CfowiKZKIQH zbUpgrade naar KadastraleKaart Pro
gSJc8hrXTUpgrade naar KadastraleKaart Pro
u5C S2BSwNWTRih9Upgrade naar KadastraleKaart Pro
pheuQtmUTprUpgrade naar KadastraleKaart Pro
18/04/2002

Percelen
Gebruik de zoekbalk of klik op een perceel om informatie over het perceel te bekijken.