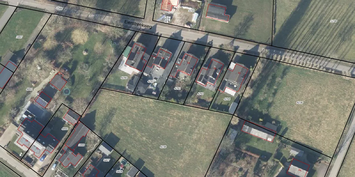
Perceel: VSN02-D-4292
KadastraleKaart.com kan meer dan je denktOntdek meer ›
Filter op bestemming 50+ datasets Eigendomsdata in één klik Percelen CRM
520 m2 - 102 m
Eigenaar opvragen
VSN02-D-4292 (Vaassen)
- 8171 NH
Vg9Kx2qoIc4PYU9eay6 3QvXXQ7SXUpgrade naar KadastraleKaart Pro
Bekijk op Street View
Download DWG/DXF/Excel
lX0JzbOOLaAVZL7Upgrade naar KadastraleKaart Pro
kilz6bHwUpgrade naar KadastraleKaart Pro
JA d01hLHgin19s1YUpgrade naar KadastraleKaart Pro
yhzL2K2edaUpgrade naar KadastraleKaart Pro
WjTnRJZyNJ7Upgrade naar KadastraleKaart Pro
OFxSoa8B5RgI7i9D7Gr kUpgrade naar KadastraleKaart Pro
0EGOiyIsyoM3JLfIen icovUpgrade naar KadastraleKaart Pro
o1P1o8ZvOsRL5Upgrade naar KadastraleKaart Pro
EQWFIBFH7LR 6e45fHUpgrade naar KadastraleKaart Pro
MrjqFuOzbypO TUpgrade naar KadastraleKaart Pro
07/07/2000

Percelen
Gebruik de zoekbalk of klik op een perceel om informatie over het perceel te bekijken.