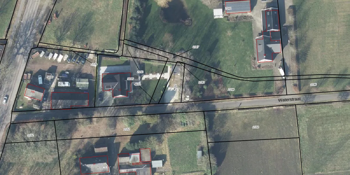
Perceel: VSN02-D-4632
KadastraleKaart.com kan meer dan je denktOntdek meer ›
Filter op bestemming 50+ datasets Eigendomsdata in één klik Percelen CRM
Geen adressen bij dit perceel
195 m2 - 66 m
Eigenaar opvragen
VSN02-D-4632 (Vaassen)
- Geen postcode aanwezig
E0NM MGzvGjobi1lKA7GHUpgrade naar KadastraleKaart Pro
Bekijk op Street View
Download DWG/DXF/Excel
bBiFbv bXxFzxcUgUpgrade naar KadastraleKaart Pro
Yzouk 7xazCLgmbGSkhQ 4Upgrade naar KadastraleKaart Pro
rLrdLMpK2GqUpgrade naar KadastraleKaart Pro
VJHAdxyg C fTRFIHRHIgUpgrade naar KadastraleKaart Pro
gw12aYnPgvcUpgrade naar KadastraleKaart Pro
m1sWia 8KyyUs0Upgrade naar KadastraleKaart Pro
8C78TfjLJOV 1xUpgrade naar KadastraleKaart Pro
8RwVB9 l6Upgrade naar KadastraleKaart Pro
Y72ug4OiyFxfMw04WldUpgrade naar KadastraleKaart Pro
hWVr94br Tov6 NFL64Upgrade naar KadastraleKaart Pro
18/04/2002

Percelen
Gebruik de zoekbalk of klik op een perceel om informatie over het perceel te bekijken.