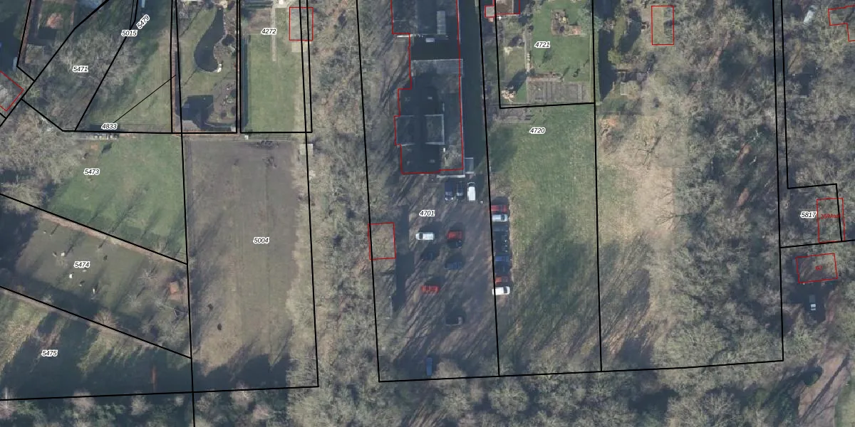
Perceel: VSN02-D-4701
KadastraleKaart.com kan meer dan je denktOntdek meer ›
Filter op bestemming 50+ datasets Eigendomsdata in één klik Percelen CRM
2.778 m2 - 253 m
Eigenaar opvragen
VSN02-D-4701 (Vaassen)
- 8171 KH
BCOAXNQURmgb n9jVt1o7SUNR5uGZUpgrade naar KadastraleKaart Pro
Bekijk op Street View
Download DWG/DXF/Excel
fyuhLPB6A5G8yUwKk57BbUpgrade naar KadastraleKaart Pro
Mvxx51JlICUhw3Upgrade naar KadastraleKaart Pro
uIedt7KHaEVSUpgrade naar KadastraleKaart Pro
uIoUKhj1uC4eXx Z4Upgrade naar KadastraleKaart Pro
iFR0Vc7ypuRmC iNBg8Upgrade naar KadastraleKaart Pro
U Q 9l Xw XyyavocbbUpgrade naar KadastraleKaart Pro
Zal8JcfCb Upgrade naar KadastraleKaart Pro
ll62nT2y5rpuge8Upgrade naar KadastraleKaart Pro
2CgBn1Y rL5mByUpgrade naar KadastraleKaart Pro
eDKQaEFrIb4NBKXmMPpXiEUpgrade naar KadastraleKaart Pro
30/12/2004

Percelen
Gebruik de zoekbalk of klik op een perceel om informatie over het perceel te bekijken.