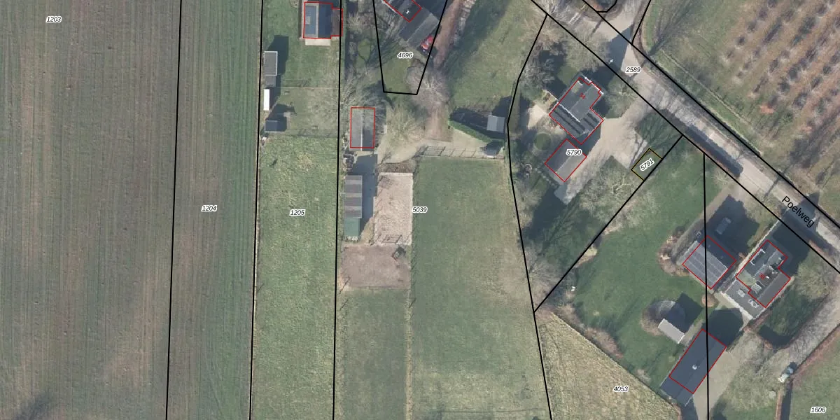
Perceel: VSN02-D-5039
KadastraleKaart.com kan meer dan je denktOntdek meer ›
Filter op bestemming 50+ datasets Eigendomsdata in één klik Percelen CRM
Geen adressen bij dit perceel
5.680 m2 - 418 m
Eigenaar opvragen
VSN02-D-5039 (Vaassen)
- Geen postcode aanwezig
2vs3d 66lWl1eAUSDprbnUpgrade naar KadastraleKaart Pro
Bekijk op Street View
Download DWG/DXF/Excel
RnXNXA5M7Zw6lQNe2 IUpgrade naar KadastraleKaart Pro
AgbVykkR1DXfUpgrade naar KadastraleKaart Pro
7ZkbY4yPGcOUpgrade naar KadastraleKaart Pro
heWefD9m 6tveUpgrade naar KadastraleKaart Pro
V4Ae IV5fpIuY NEEV3fhHgUpgrade naar KadastraleKaart Pro
VY5w65B4CuM BIUpgrade naar KadastraleKaart Pro
DwlrB5nqUpgrade naar KadastraleKaart Pro
EpJHMi44gqsFMnUpgrade naar KadastraleKaart Pro
vNLESJxYz CHAI 6kJ f IIUpgrade naar KadastraleKaart Pro
OZVXdPrkpP TilnUpgrade naar KadastraleKaart Pro
29/12/2006

Percelen
Gebruik de zoekbalk of klik op een perceel om informatie over het perceel te bekijken.