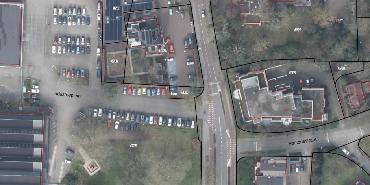
Perceel: VSN02-D-5314
KadastraleKaart.com kan meer dan je denktOntdek meer ›
Filter op bestemming 50+ datasets Eigendomsdata in één klik Percelen CRM
Geen adressen bij dit perceel
111 m2 - 48 m
Eigenaar opvragen
VSN02-D-5314 (Vaassen)
- Geen postcode aanwezig
2MUbwe66mRsU ijzrdSeKc 5AZhOrWdUpgrade naar KadastraleKaart Pro
Bekijk op Street View
Download DWG/DXF/Excel
tHVUM2lb3O0pUpgrade naar KadastraleKaart Pro
HRdFl vBTdljM1HUqbUpgrade naar KadastraleKaart Pro
PmoI4TcmyNhssMJFUpgrade naar KadastraleKaart Pro
Aa7txinhWvUpgrade naar KadastraleKaart Pro
m Xg4 pLeUpgrade naar KadastraleKaart Pro
RMW1j rbT17I36k3agUpgrade naar KadastraleKaart Pro
PkNfV BEuoLONmIOnmScUpgrade naar KadastraleKaart Pro
BgFDasBYUpgrade naar KadastraleKaart Pro
xacehXL 2bwjUpgrade naar KadastraleKaart Pro
NRHvPtUL9g1r0 6mKUpgrade naar KadastraleKaart Pro
12/05/2014

Percelen
Gebruik de zoekbalk of klik op een perceel om informatie over het perceel te bekijken.