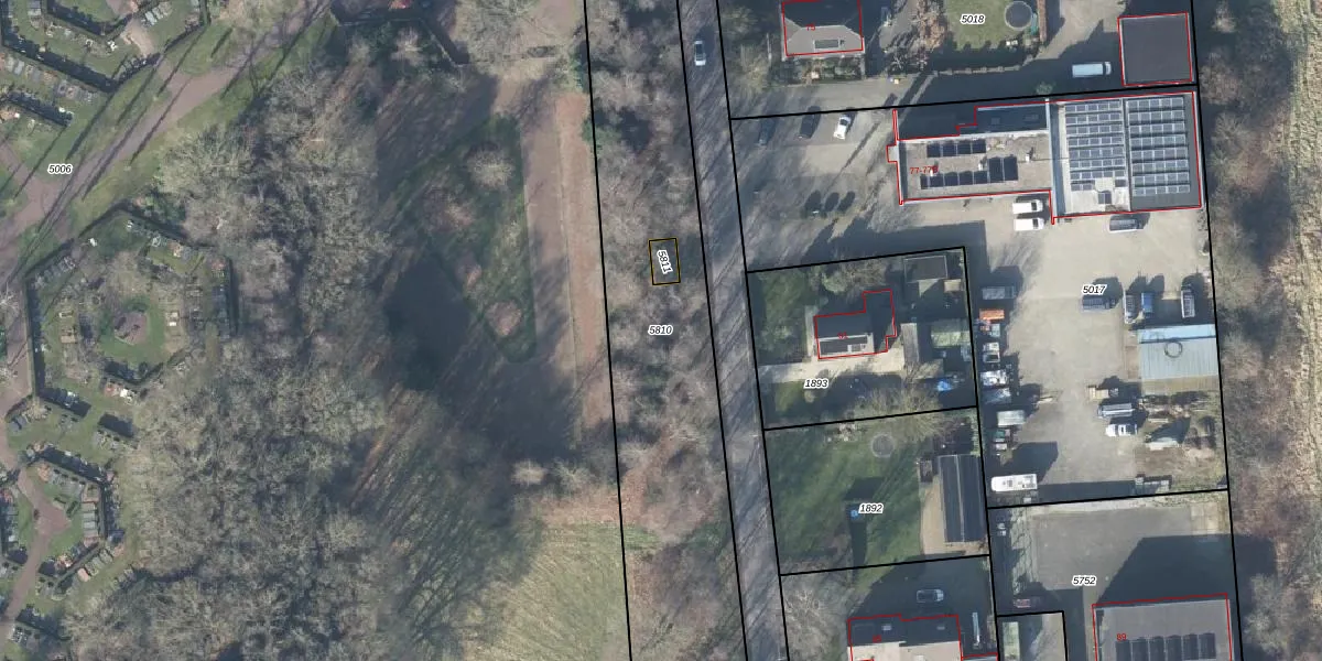
Perceel: VSN02-D-5810
KadastraleKaart.com kan meer dan je denktOntdek meer ›
Filter op bestemming 50+ datasets Eigendomsdata in één klik Percelen CRM
Geen adressen bij dit perceel
3.368 m2 - 495 m
Eigenaar opvragen
VSN02-D-5810 (Vaassen)
- Geen postcode aanwezig
ODczbL skX1Vk eljGctUpgrade naar KadastraleKaart Pro
Bekijk op Street View
Download DWG/DXF/Excel
jGsNUZ S2r Upgrade naar KadastraleKaart Pro
DYrpeJ CAn YDZUMcrEe ieUpgrade naar KadastraleKaart Pro
iG9Z0SKTxvLJUpgrade naar KadastraleKaart Pro
sERYQ3UqvKn xw Upgrade naar KadastraleKaart Pro
cbjRvDOUOA7Eo2lePbt 8QUpgrade naar KadastraleKaart Pro
z4ymq a4O 2lcDWOUpgrade naar KadastraleKaart Pro
R5aeWbM vOOVXxvDUpgrade naar KadastraleKaart Pro
e0fkOsV9794mVkYUr Upgrade naar KadastraleKaart Pro
c B41cO a0ykcJiUpgrade naar KadastraleKaart Pro
S4f3xjERb7m A2sJ7wUpgrade naar KadastraleKaart Pro
21/05/2024

Percelen
Gebruik de zoekbalk of klik op een perceel om informatie over het perceel te bekijken.